|
|
|
|
|
|
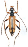
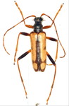
ニッコウヒメハナカミキリ Pidonia limbaticollis limbaticollis Pic, 1902 メス 群馬県 |
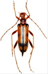
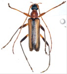
オオバヤシニッコウヒメハナカミキリ Pidonia limbaticollis ohbayashii (Matsushita, 1933) オス 岐阜県 |
オオバヤシニッコウヒメハナカミキリ Pidonia limbaticollis ohbayashii (Matsushita, 1933) メス 長野県 |
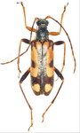
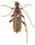
オオバヤシニッコウヒメハナカミキリ Pidonia limbaticollis ohbayashii (Matsushita, 1933) オス 長野県 |
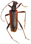
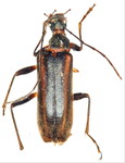
ブロイニングヒメハナカミキリ Pidonia limbaticollis stephani Hayashi, 1982 オス 愛媛県 |
ブロイニングヒメハナカミキリ Pidonia limbaticollis stephani Hayashi, 1982 メス 高知県 |
|
|
|
|
|
|
キュウシュウヒメハナカミキリ Pidonia kyushuensis Yamawaki, 1959 オス 大分県 |
マホロバヒメハナカミキリ Pidonia leucanthophila Kuboki, 1978 オス 高知県 |
イシヅチヒメハナカミキリ Pidonia shikokensis shikokensis Chujo et Hayashi, 1951 オス 徳島県 |
イシヅチヒメハナカミキリ Pidonia shikokensis shikokensis Chujo et Hayashi, 1951 メス 愛媛県 |
アマノイシヅチヒメハナカミキリ Pidonia shikokensis amanoi Hayashi,1969 メス 福岡県 |
ヒミコヒメハナカミキリ Pidonia neglecta neglecta Kuboki, 1982 メス 熊本県 |
|
|
|
|
|
|
キベリクロヒメハナカミキリ Pidonia discoidalis Pic, 1901 オス 京都府 |
キベリクロヒメハナカミキリ Pidonia discoidalis Pic, 1901 メス 群馬県 |
ヤノヒメハナカミキリ Pidonia chairo Tamanuki, 1942 オス 奈良県 |
ヤノヒメハナカミキリ Pidonia chairo Tamanuki, 1942 メス 奈良県 |
フトエリマキヒメハナカミキリ Pidonia himehana S.Saito, 1992 オス 岩手県 |
フトエリマキヒメハナカミキリ Pidonia himehana S.Saito, 1992 メス 岩手県 |