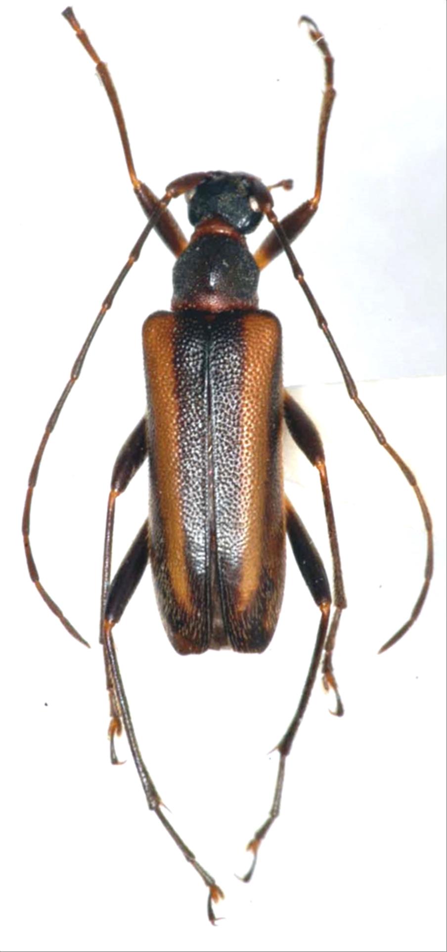
日本産カミキリムシ

キベリクロヒメハナカミキリ
カミキリムシ科
ハナカミキリ亜科


Pidonia discoidalis  Pic, 1901
Cerambycidae
Lepturinae
標本データ
性:メス
体長(mm):8.4
採集日:1985/07/15 〜 1985/07/19
採集地(国):日本
採集地(都道府県):群馬県
採集地(市町村):みなかみ町大清水
採集地(詳細):
更新日:2017/08/08



戻る