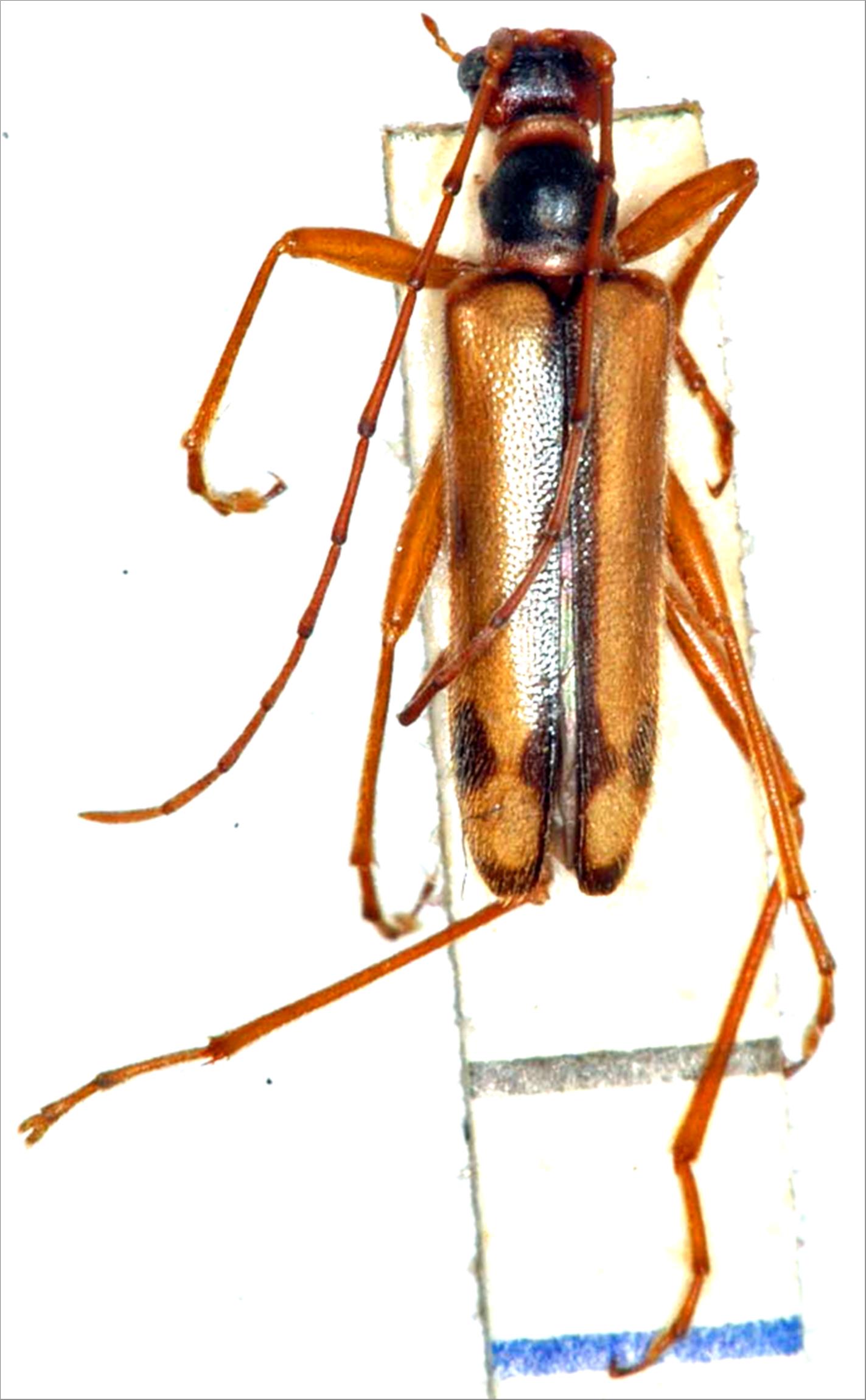
日本産カミキリムシ

ブロイニングヒメハナカミキリ
カミキリムシ科
ハナカミキリ亜科


Pidonia limbaticollis stephani  Hayashi, 1982
Cerambycidae
Lepturinae
標本データ
性:オス
体長(mm):9.2
採集日:1970/07/31
採集地(国):日本
採集地(都道府県):愛媛県
採集地(市町村):西条市西之川花上
採集地(詳細):
更新日:2017/08/08



戻る