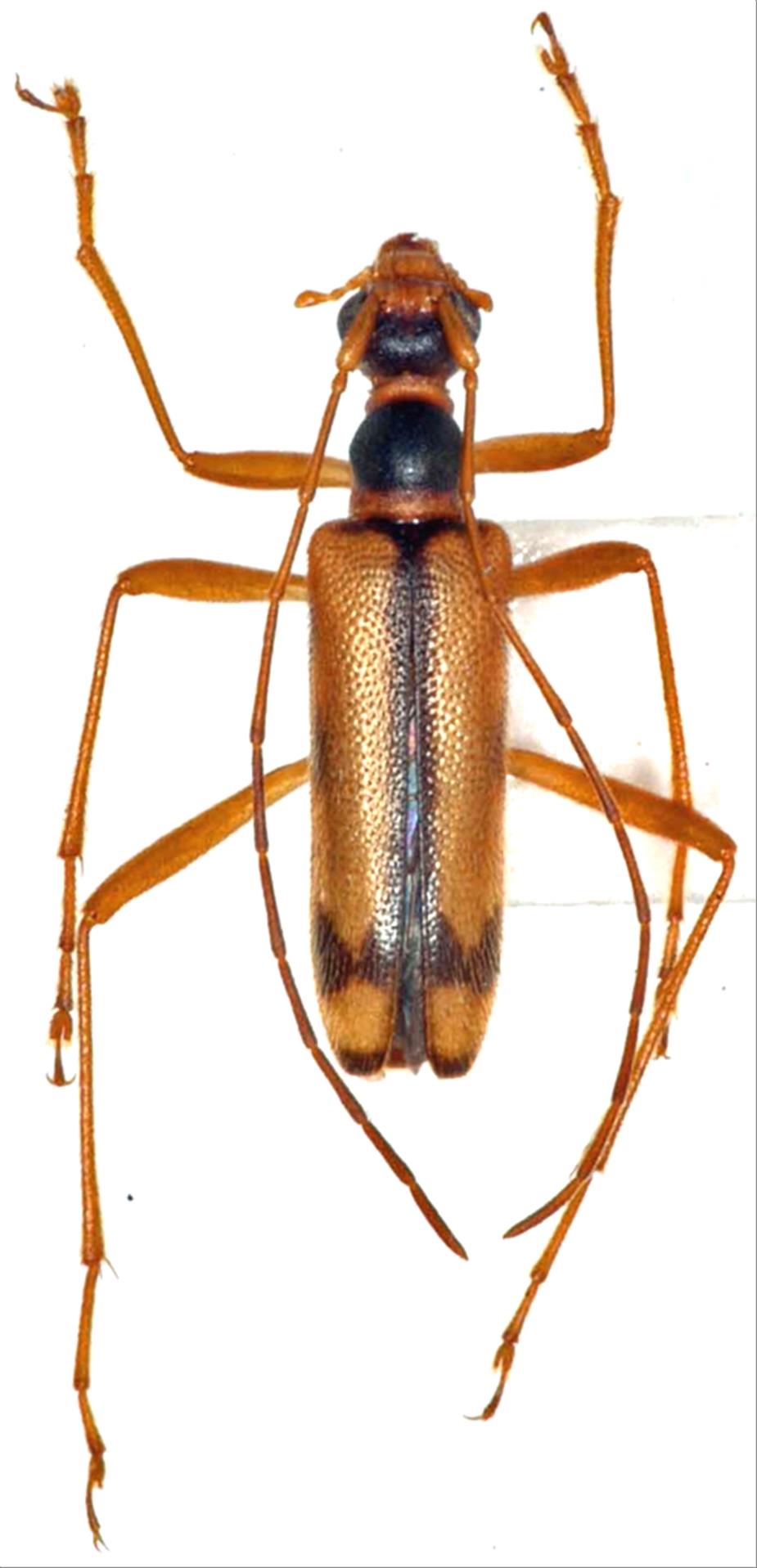
日本産カミキリムシ

マホロバヒメハナカミキリ
カミキリムシ科
ハナカミキリ亜科


Pidonia leucanthophila  Kuboki, 1978
Cerambycidae
Lepturinae
標本データ
性:オス
体長(mm):7.4
採集日:1982/07/04
採集地(国):日本
採集地(都道府県):高知県
採集地(市町村):大川村大座礼山
採集地(詳細):
更新日:2017/08/08



戻る