日本産カミキリムシ

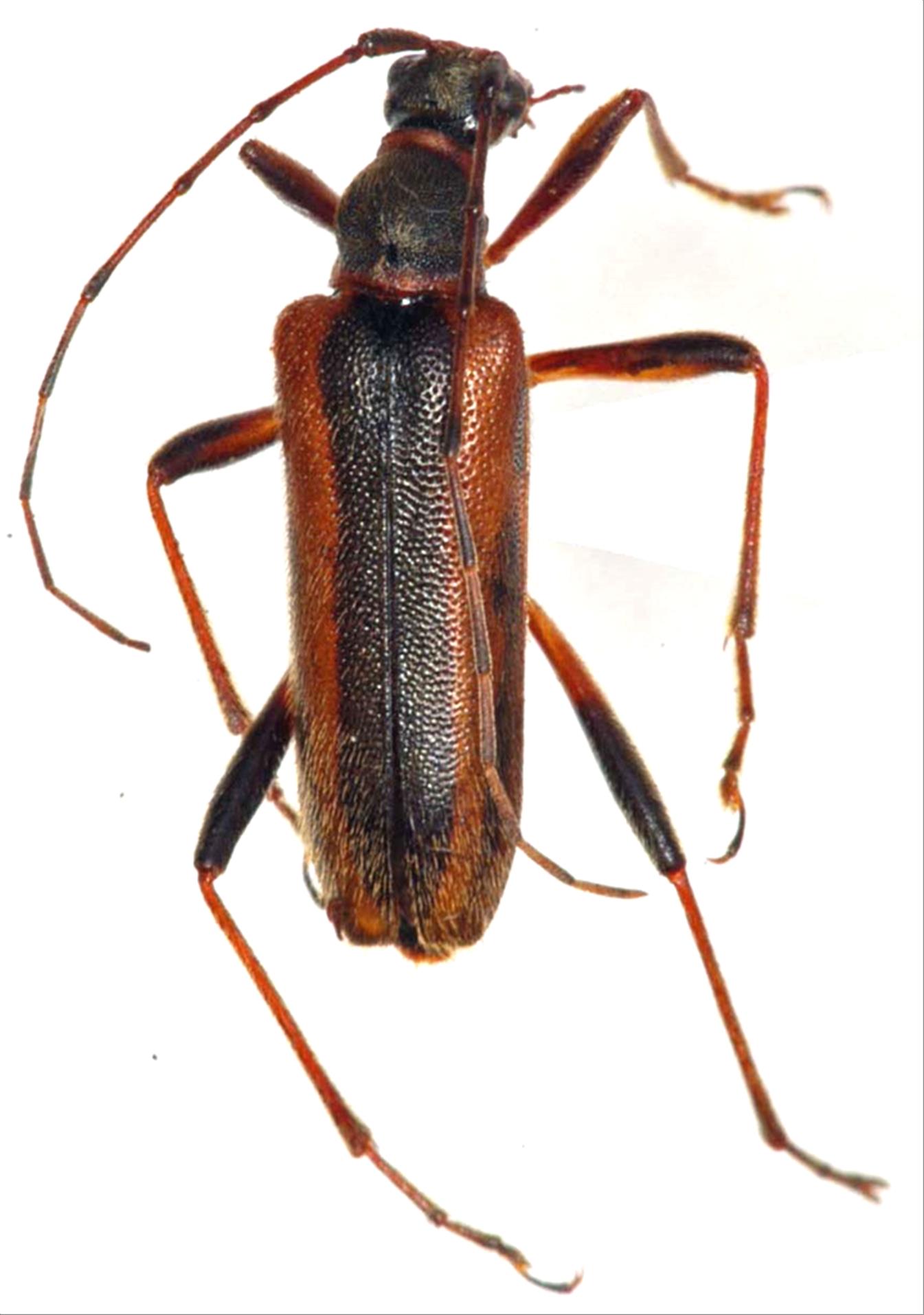
イシヅチヒメハナカミキリ
カミキリムシ科
ハナカミキリ亜科


Pidonia shikokensis shikokensis  Chujo et Hayashi, 1951
Cerambycidae
Lepturinae
標本データ
性:メス
体長(mm):14
採集日:1967/08/06
採集地(国):日本
採集地(都道府県):愛媛県
採集地(市町村):西条市小松町石鎚山
採集地(詳細):
更新日:2017/08/08



戻る