日本産カミキリムシ

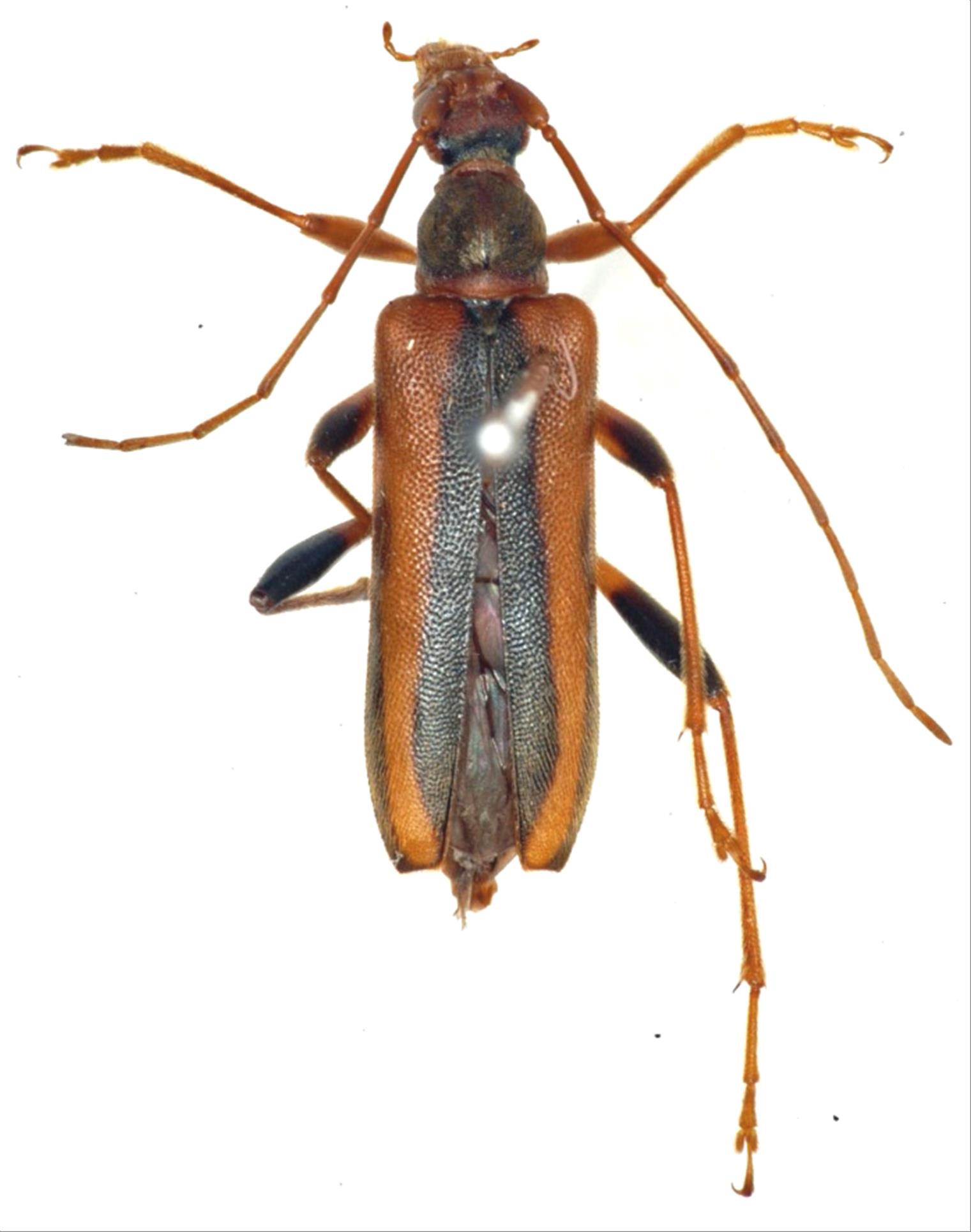
アマノイシヅチヒメハナカミキリ
カミキリムシ科
ハナカミキリ亜科


Pidonia shikokensis amanoi  Hayashi,1969
Cerambycidae
Lepturinae
標本データ
性:メス
体長(mm):14
採集日:1989/07/10 〜 1989/07/21
採集地(国):日本
採集地(都道府県):福岡県
採集地(市町村):添田町英彦山
採集地(詳細):
更新日:2017/08/08



戻る