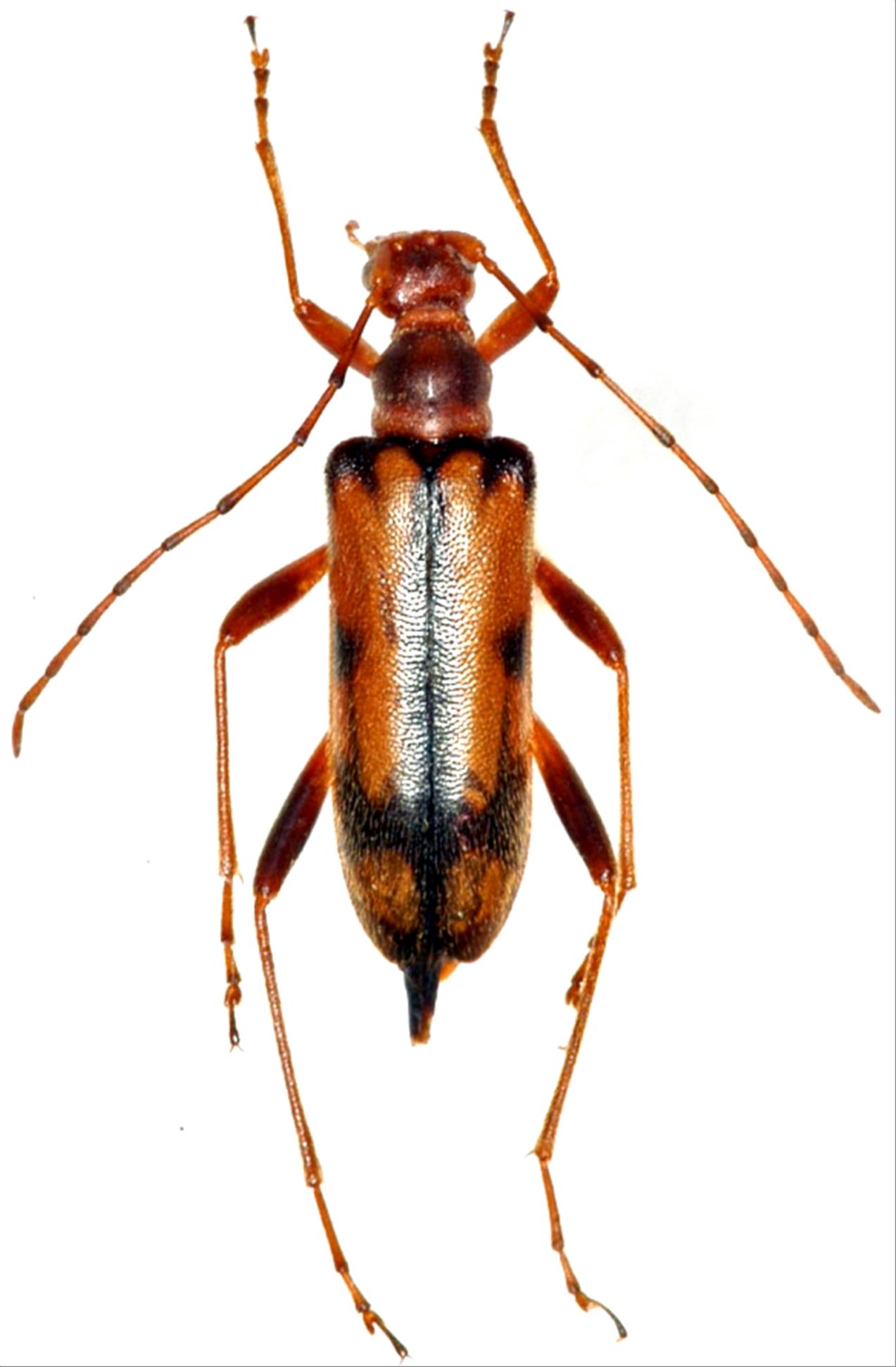
日本産カミキリムシ

ニッコウヒメハナカミキリ
カミキリムシ科
ハナカミキリ亜科


Pidonia limbaticollis limbaticollis  Pic, 1902
Cerambycidae
Lepturinae
標本データ
性:メス
体長(mm):12
採集日:1985/07/15 〜 1985/07/19
採集地(国):日本
採集地(都道府県):群馬県
採集地(市町村):みなかみ町藤原大清水
採集地(詳細):
更新日:2017/08/08



戻る