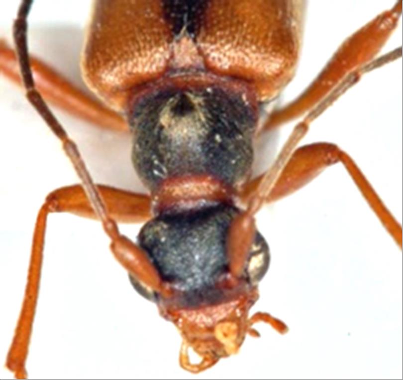
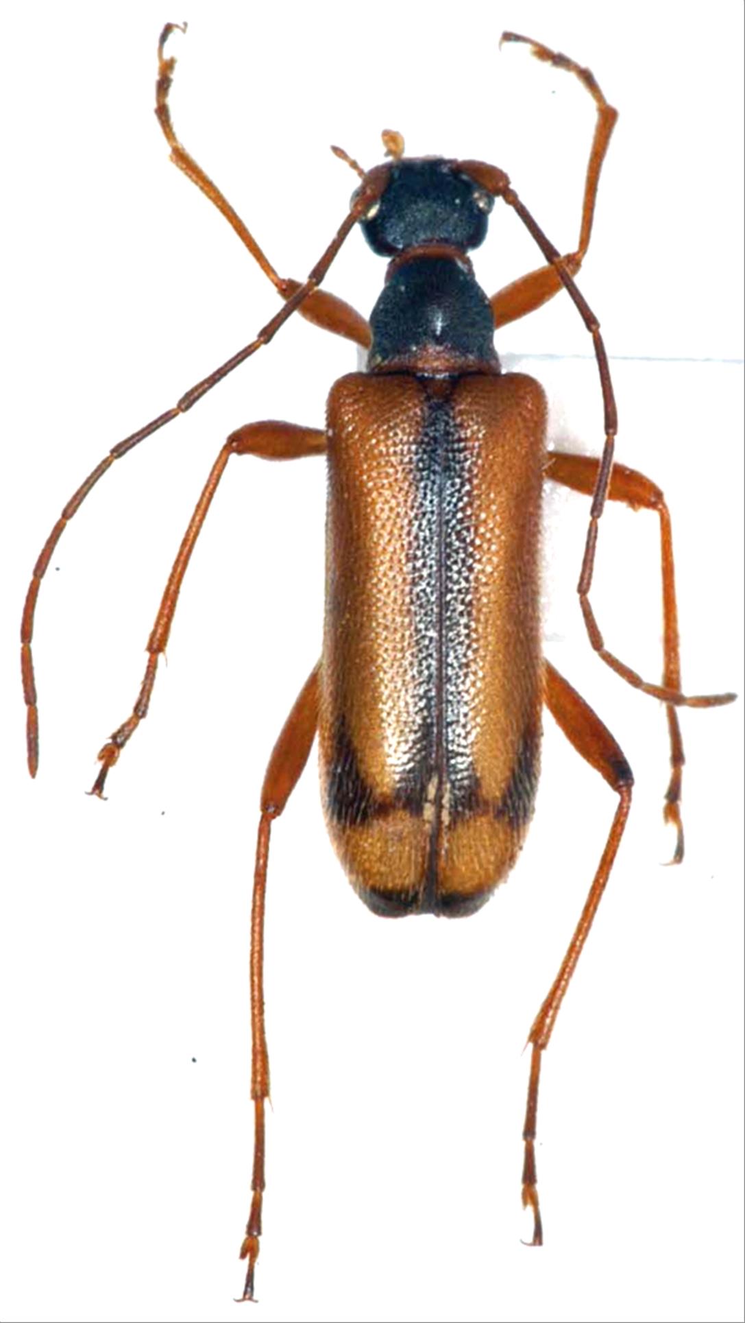
日本産カミキリムシ

ヤノヒメハナカミキリ
カミキリムシ科
ハナカミキリ亜科


Pidonia chairo  Tamanuki, 1942
Cerambycidae
Lepturinae
標本データ
性:メス
体長(mm):7.4
採集日:1979/07/15
採集地(国):日本
採集地(都道府県):奈良県
採集地(市町村):天川村弥山・大峰山
採集地(詳細):
更新日:2017/08/08



戻る