日本産カミキリムシ

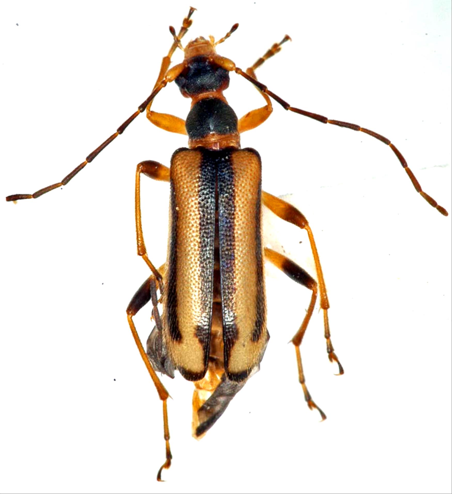
フトエリマキヒメハナカミキリ
カミキリムシ科
ハナカミキリ亜科


Pidonia himehana  S.Saito, 1992
Cerambycidae
Lepturinae
標本データ
性:メス
体長(mm):8
採集日:1993/05/21 〜 1993/05/27
採集地(国):日本
採集地(都道府県):岩手県
採集地(市町村):水沢市胆沢試験林
採集地(詳細):
更新日:2017/08/08



戻る