日本産カミキリムシ

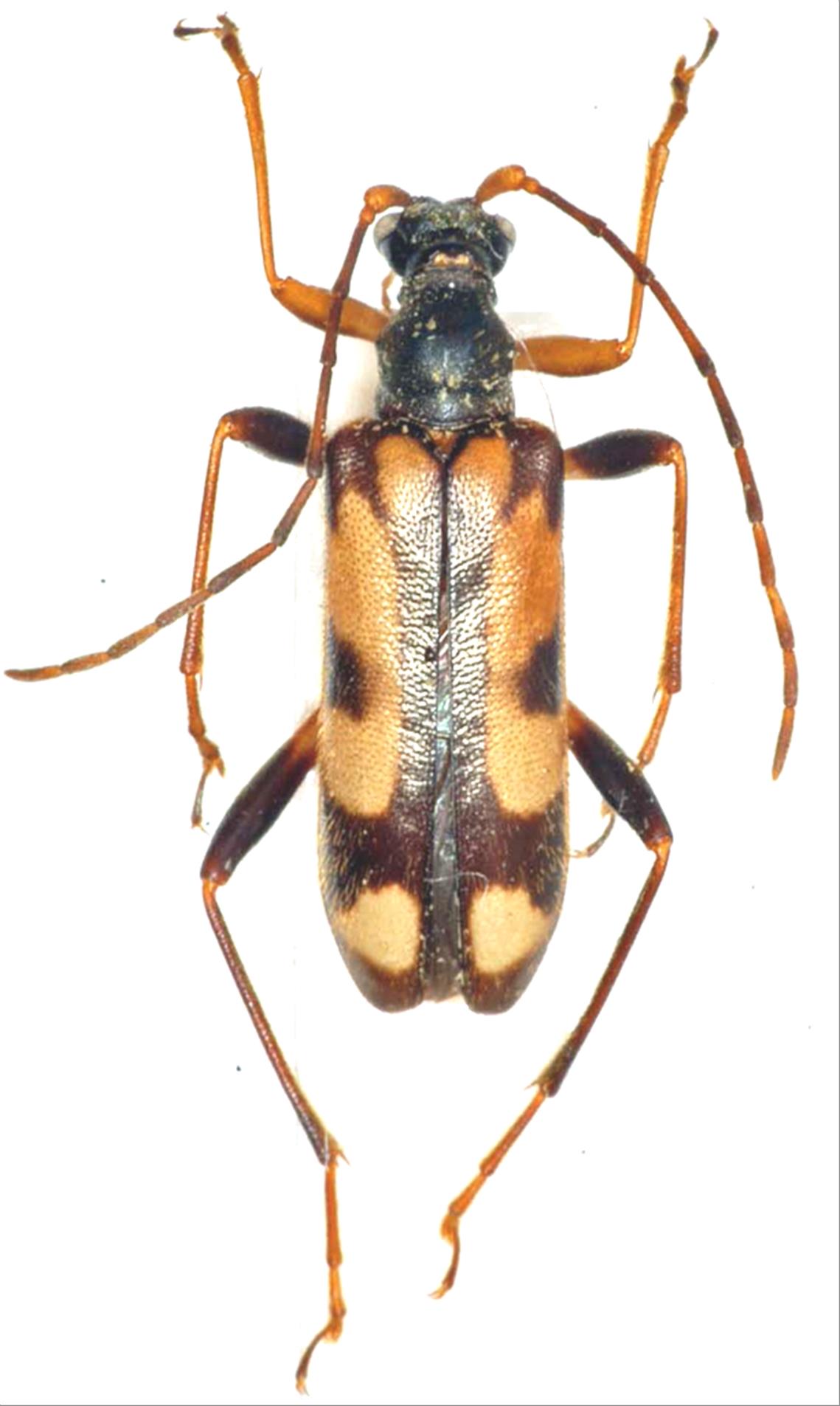
オオバヤシニッコウヒメハナカミキリ
カミキリムシ科
ハナカミキリ亜科


Pidonia limbaticollis ohbayashii  (Matsushita, 1933)
Cerambycidae
Lepturinae
標本データ
性:メス
体長(mm):9.9
採集日:1969/07/20
採集地(国):日本
採集地(都道府県):長野県
採集地(市町村):松本市徳本峠
採集地(詳細):
更新日:2017/08/08



戻る