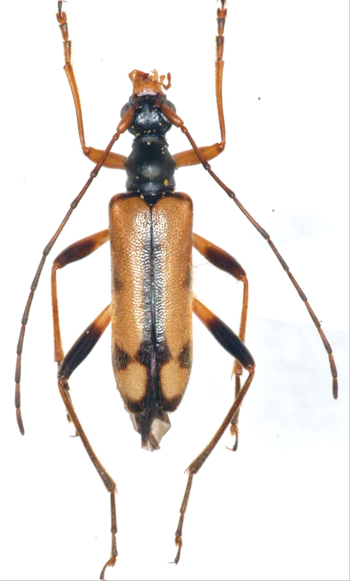
日本産カミキリムシ

オオバヤシニッコウヒメハナカミキリ
カミキリムシ科
ハナカミキリ亜科


Pidonia limbaticollis ohbayashii  (Matsushita, 1933)
Cerambycidae
Lepturinae
標本データ
性:オス
体長(mm):10.4
採集日:1995/07/15
採集地(国):日本
採集地(都道府県):岐阜県
採集地(市町村):高山市奥飛騨温泉郷安房平
採集地(詳細):
更新日:2017/08/08



戻る