日本産カミキリムシ

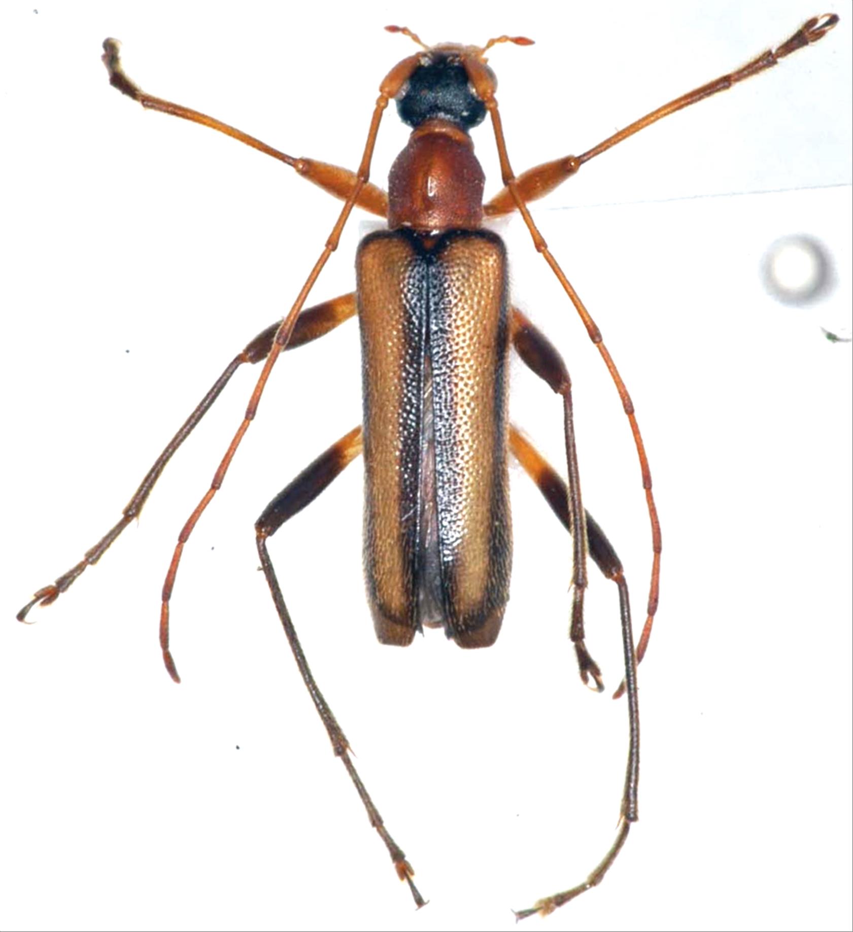
キベリクロヒメハナカミキリ
カミキリムシ科
ハナカミキリ亜科


Pidonia discoidalis  Pic, 1901
Cerambycidae
Lepturinae
標本データ
性:オス
体長(mm):8
採集日:2002/05/24
採集地(国):日本
採集地(都道府県):京都府
採集地(市町村):南丹市美山町芦生演習林
採集地(詳細):
更新日:2017/08/08



戻る