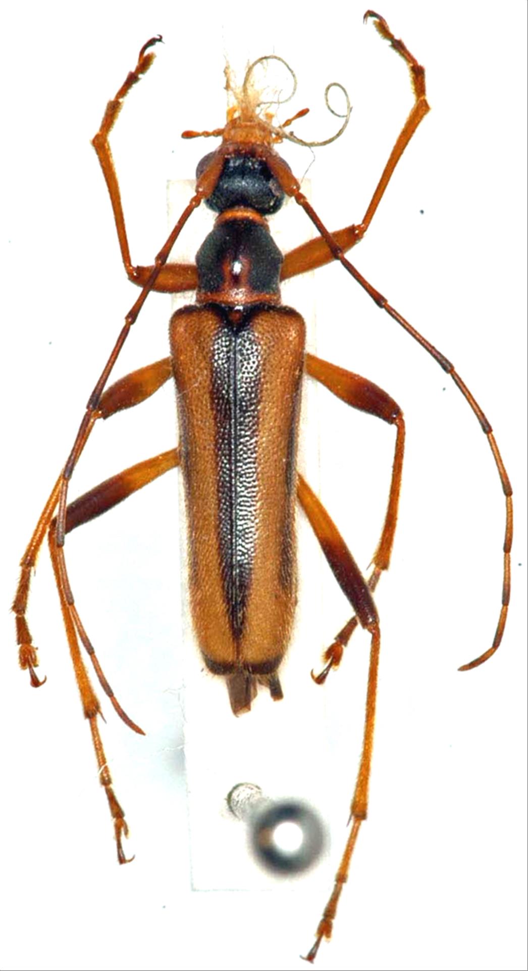
日本産カミキリムシ

イシヅチヒメハナカミキリ
カミキリムシ科
ハナカミキリ亜科


Pidonia shikokensis shikokensis  Chujo et Hayashi, 1951
Cerambycidae
Lepturinae
標本データ
性:オス
体長(mm):11
採集日:1973/07/28 〜 1973/07/30
採集地(国):日本
採集地(都道府県):徳島県
採集地(市町村):美馬市剣山
採集地(詳細):
更新日:2017/08/08



戻る