日本産カミキリムシ

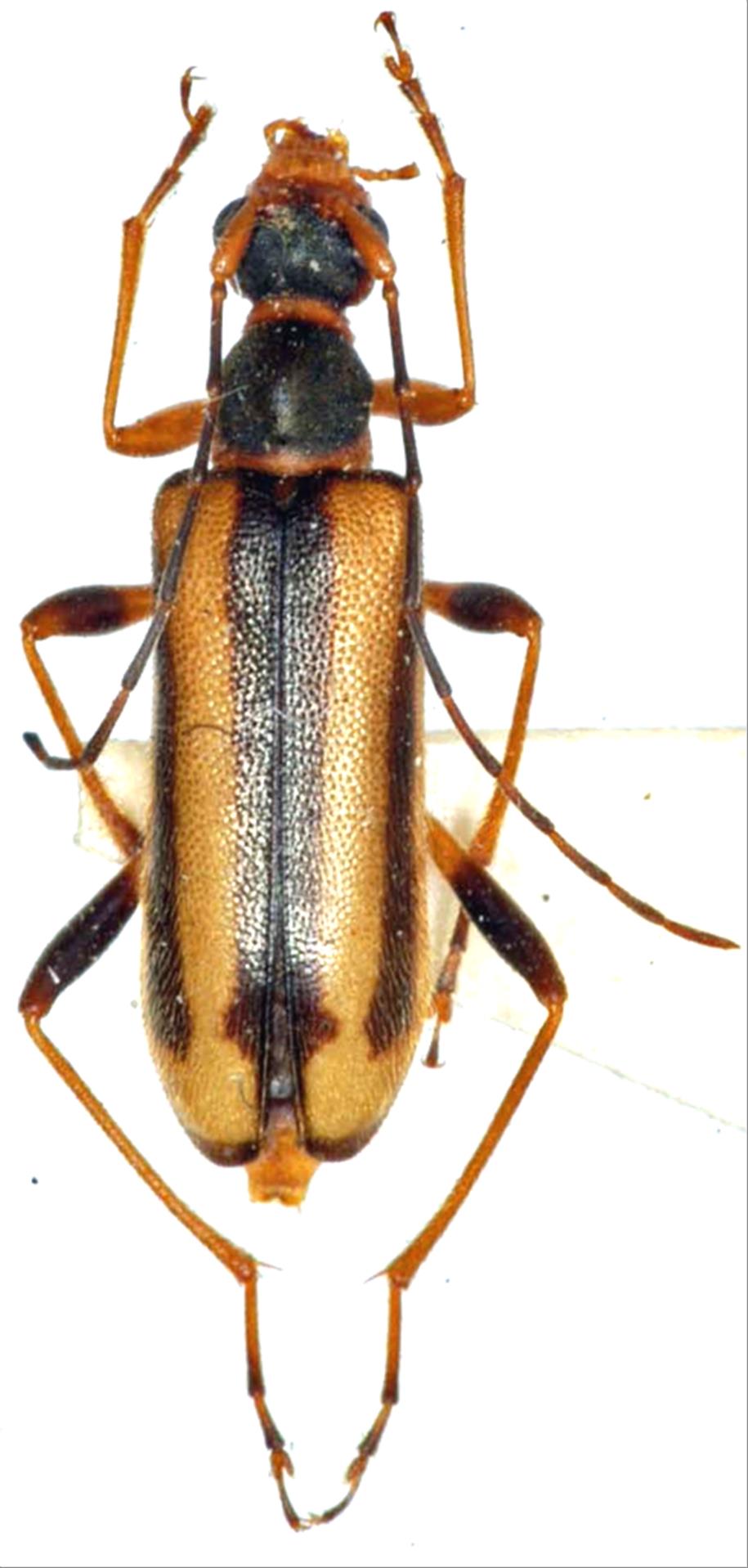
フトエリマキヒメハナカミキリ
カミキリムシ科
ハナカミキリ亜科


Pidonia himehana  S.Saito, 1992
Cerambycidae
Lepturinae
標本データ
性:オス
体長(mm):9.8
採集日:1982/07/04
採集地(国):日本
採集地(都道府県):岩手県
採集地(市町村):八幡平市藤七温泉
採集地(詳細):
更新日:2017/08/08



戻る