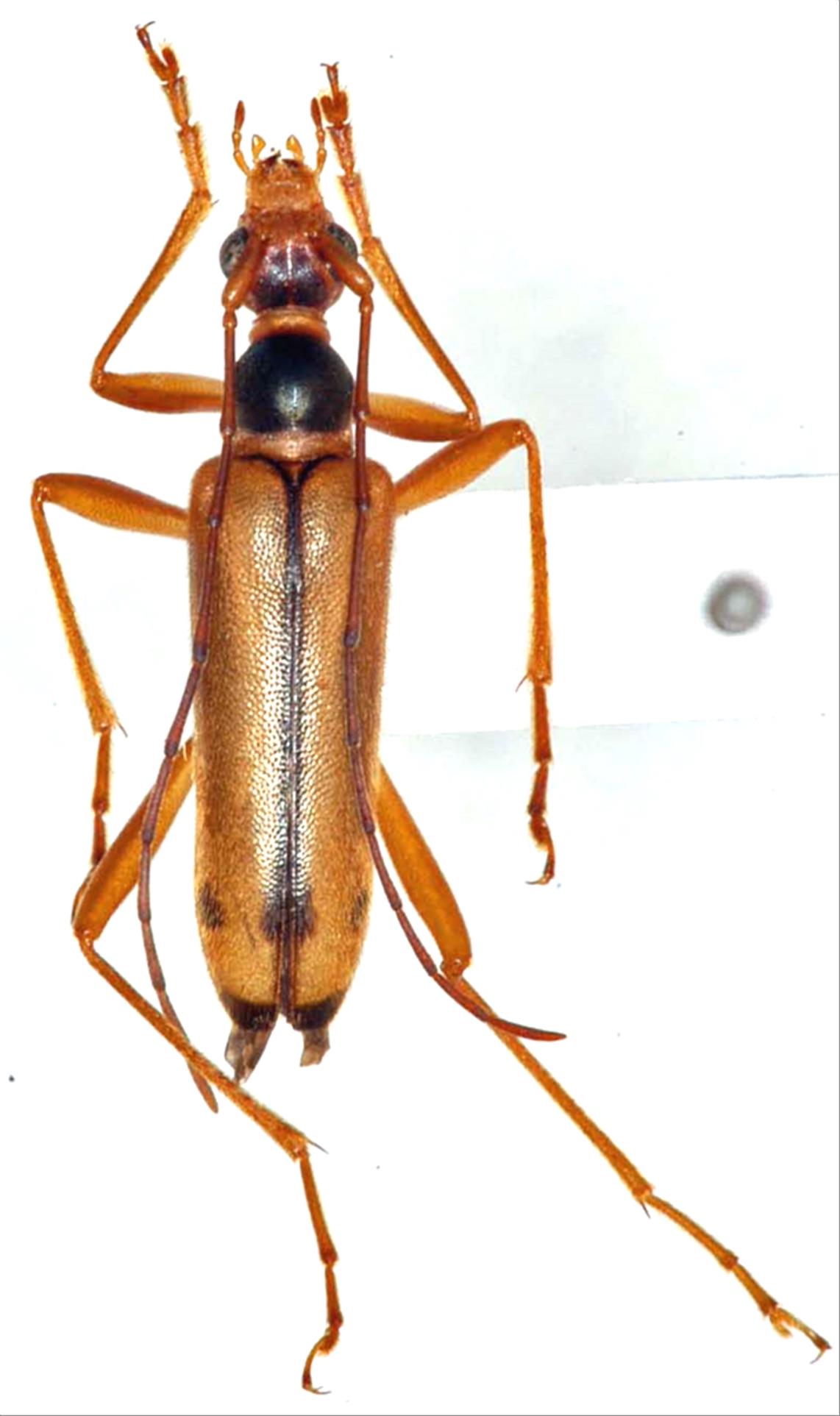
日本産カミキリムシ

キュウシュウヒメハナカミキリ
カミキリムシ科
ハナカミキリ亜科


Pidonia kyushuensis  Yamawaki, 1959
Cerambycidae
Lepturinae
標本データ
性:オス
体長(mm):11
採集日:1983/07/03
採集地(国):日本
採集地(都道府県):大分県
採集地(市町村):久住町黒岳
採集地(詳細):
更新日:2017/08/08



戻る