|
|
|
|
|
|
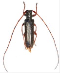
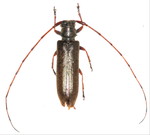
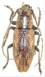
サキシマウスアヤカミキリ Bumetopia sakishimana sakishimana Hayashi, 1966 メス 沖縄県 |
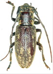
ヨナグニウスアヤカミキリ Bumetopia sakishimana yonaguni Hayashi, 1966 オス 沖縄県 |
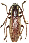
ヨナグニウスアヤカミキリ Bumetopia sakishimana yonaguni Hayashi, 1966 メス 沖縄県 |
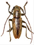
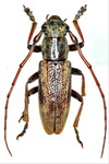
ウスアヤカミキリ Bumetopia japonica japonica (Thomson, 1868) オス 鹿児島県 |
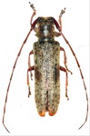
ウスアヤカミキリ Bumetopia japonica japonica (Thomson, 1868) メス 鹿児島県 |
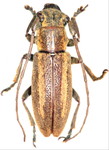
オキナワウスアヤカミキリ Bumetopia japonica okinawana Hayashi, 1963 オス 沖縄県 |
|
|
|
|
|
|
オキナワウスアヤカミキリ Bumetopia japonica okinawana Hayashi, 1963 メス 沖縄県 |
オオシマウスアヤカミキリ Bumetopia oshimana oshimana Breuning, 1939 オス 鹿児島県 |
オオシマウスアヤカミキリ Bumetopia oshimana oshimana Breuning, 1939 メス 鹿児島県 |
ハチジョウウスアヤカミキリ Bumetopia oshimana heiana Hayashi,1963 オス 東京都 |
ハチジョウウスアヤカミキリ Bumetopia oshimana heiana Hayashi,1963 メス 東京都 |
ヨツスジカミキリ Notomulciber quadrisignatus (Schwarzer, 1925) オス 沖縄県 |
|
|
|
|
|
|
ヨツスジカミキリ Notomulciber quadrisignatus (Schwarzer, 1925) メス 沖縄県 |
シナノクロフカミキリ Asaperda agapanthina agapanthina Bates, 1873 オス 群馬県 |
シナノクロフカミキリ Asaperda agapanthina agapanthina Bates, 1873 メス 神奈川県 |
キュウシュウシナノクロフカミキリ Asaperda agapanthina yamawakii Komiya, 1984 オス 熊本県 |
キュウシュウシナノクロフカミキリ Asaperda agapanthina yamawakii Komiya, 1984 メス 熊本県 |
ニセシナノクロフカミキリ Asaperda kani Hayashi,1976 オス 愛媛県 |