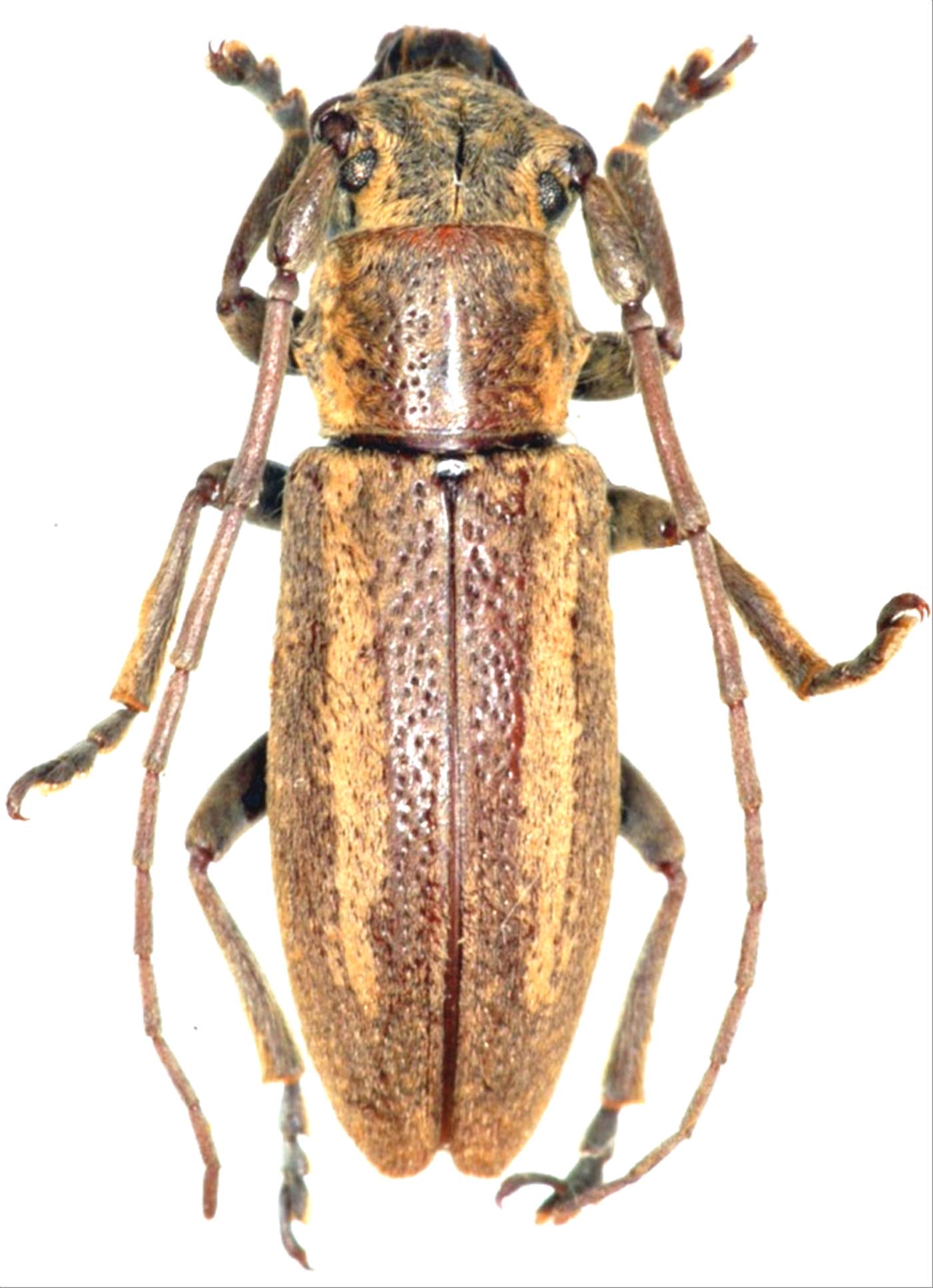
日本産カミキリムシ

オオシマウスアヤカミキリ
カミキリムシ科
フトカミキリ亜科


Bumetopia oshimana oshimana  Breuning, 1939
Cerambycidae
Lamiinae
標本データ
性:メス
体長(mm):12
採集日:1976/05/14
採集地(国):日本
採集地(都道府県):鹿児島県
採集地(市町村):徳之島町
採集地(詳細):
更新日:2017/08/08



戻る