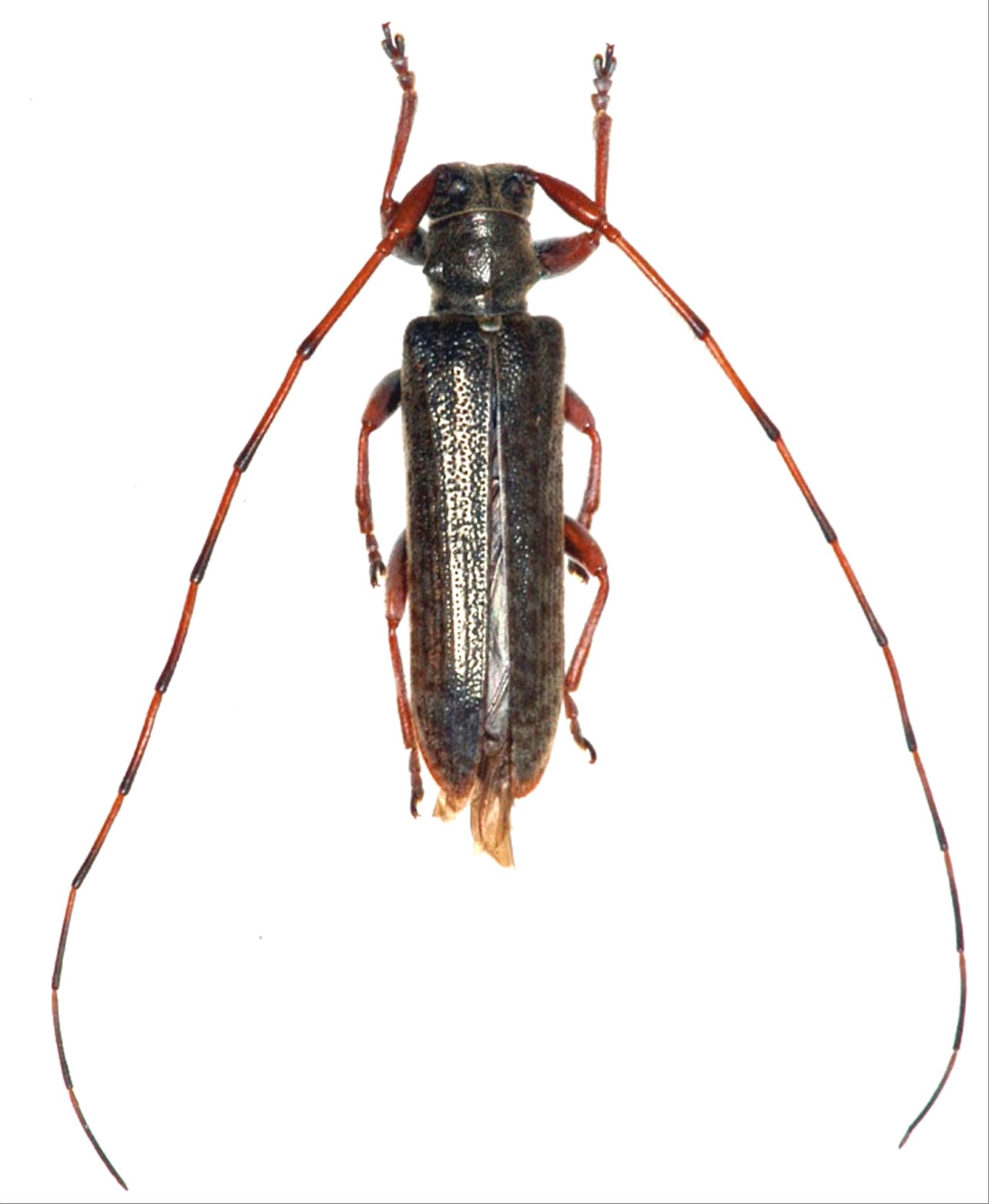
日本産カミキリムシ

キュウシュウシナノクロフカミキリ
カミキリムシ科
フトカミキリ亜科


Asaperda agapanthina yamawakii  Komiya, 1984
Cerambycidae
Lamiinae
標本データ
性:オス
体長(mm):13
採集日:1990/06/09 〜 1990/06/10
採集地(国):日本
採集地(都道府県):熊本県
採集地(市町村):八代市泉町白鳥山
採集地(詳細):
更新日:2017/08/08



戻る