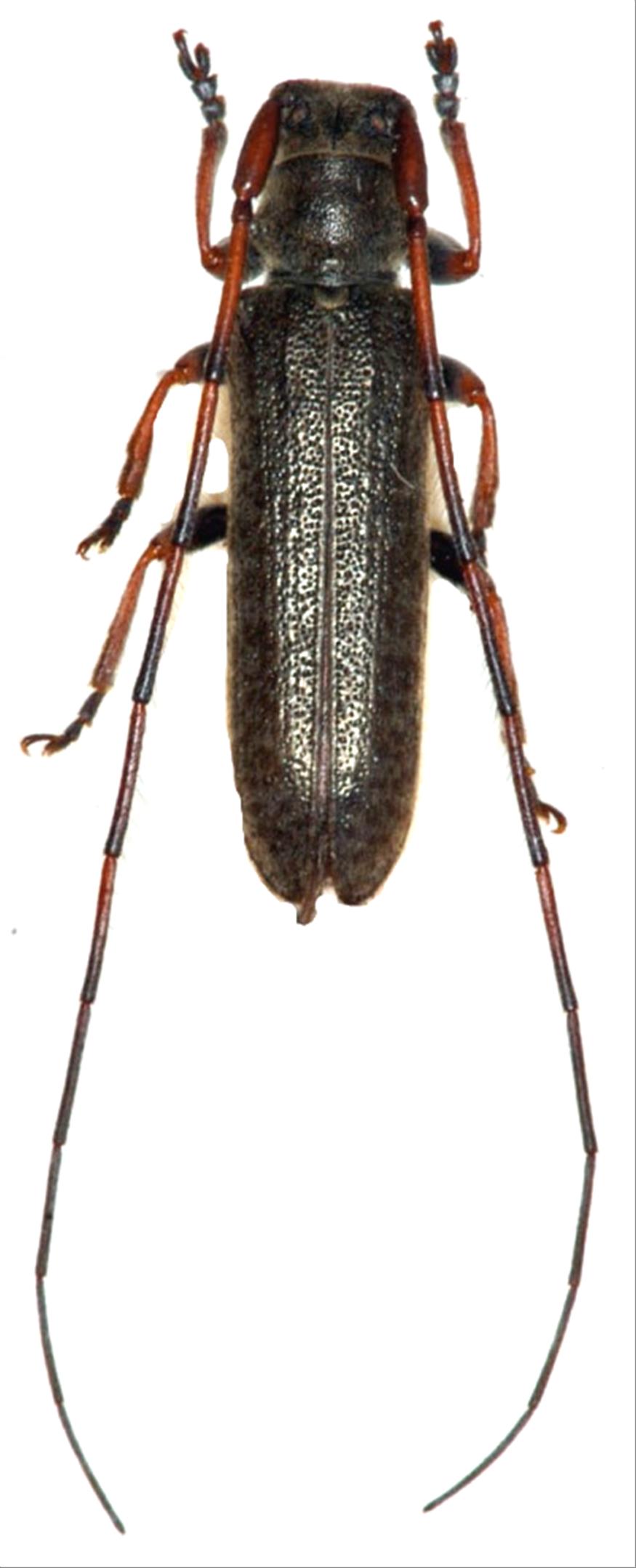
日本産カミキリムシ

ニセシナノクロフカミキリ
カミキリムシ科
フトカミキリ亜科


Asaperda kani  Hayashi,1976
Cerambycidae
Lamiinae
標本データ
性:オス
体長(mm):11
採集日:1973/05/03
採集地(国):日本
採集地(都道府県):愛媛県
採集地(市町村):内子町小田深山
採集地(詳細):
更新日:2017/08/08



戻る