日本産カミキリムシ

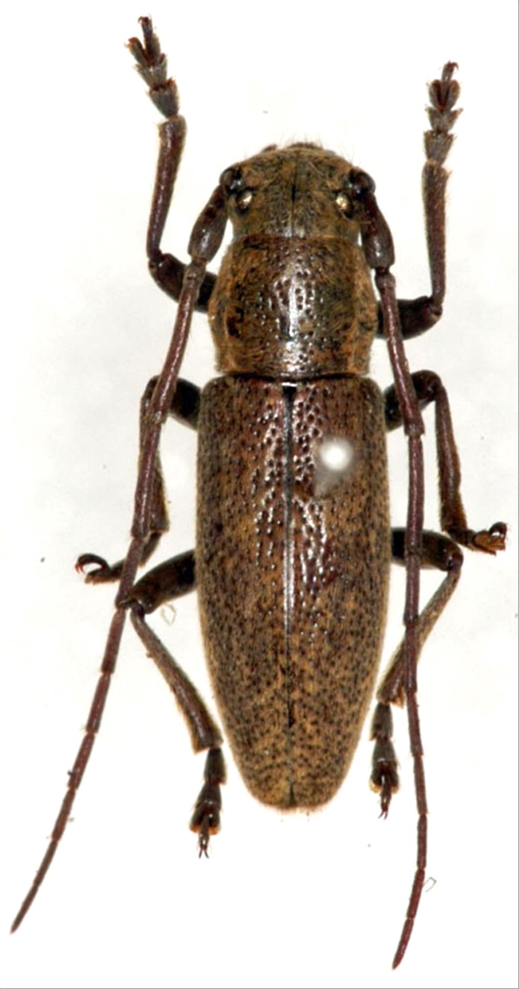
オキナワウスアヤカミキリ
カミキリムシ科
フトカミキリ亜科


Bumetopia japonica okinawana  Hayashi, 1963
Cerambycidae
Lamiinae
標本データ
性:オス
体長(mm):11
採集日:1978/05/22
採集地(国):日本
採集地(都道府県):沖縄県
採集地(市町村):南城市知念久手堅
採集地(詳細):
更新日:2017/08/08



戻る