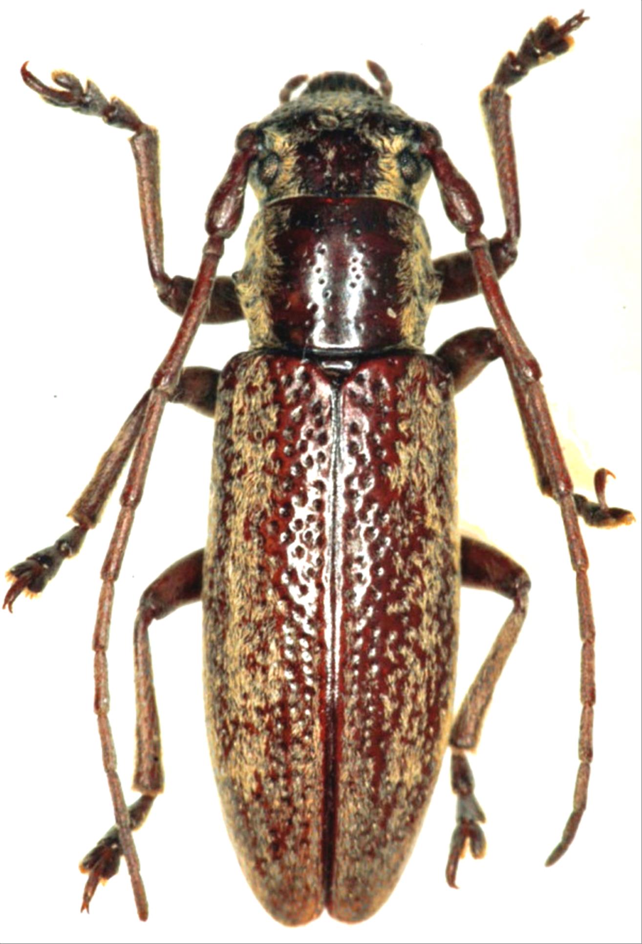
日本産カミキリムシ

ハチジョウウスアヤカミキリ
カミキリムシ科
フトカミキリ亜科


Bumetopia oshimana heiana  Hayashi,1963
Cerambycidae
Lamiinae
標本データ
性:メス
体長(mm):11.5
採集日:1975/07/11
採集地(国):日本
採集地(都道府県):東京都
採集地(市町村):八丈町三原山
採集地(詳細):
更新日:2017/08/08



戻る