日本産カミキリムシ

シナノクロフカミキリ
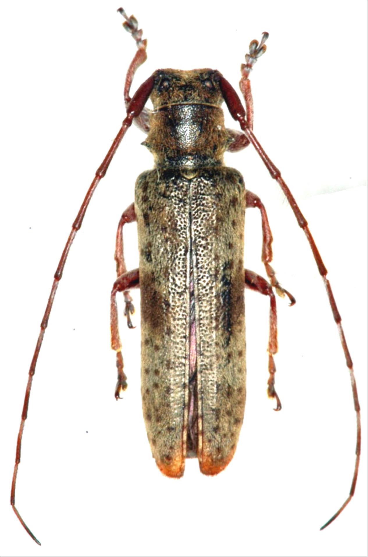
カミキリムシ科
フトカミキリ亜科


Asaperda agapanthina agapanthina  Bates, 1873
Cerambycidae
Lamiinae
標本データ
性:メス
体長(mm):13
採集日:1981/05/20
採集地(国):日本
採集地(都道府県):神奈川県
採集地(市町村):三浦市
採集地(詳細):
更新日:2017/08/08



戻る