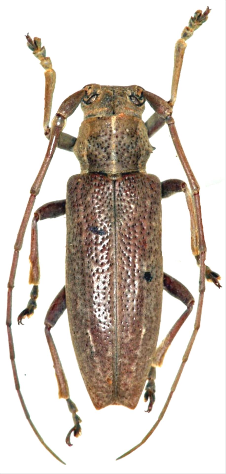
日本産カミキリムシ

ヨツスジカミキリ
カミキリムシ科
フトカミキリ亜科


Notomulciber  quadrisignatus  (Schwarzer, 1925)
Cerambycidae
Lamiinae
標本データ
性:メス
体長(mm):15
採集日:1975/05/23
採集地(国):日本
採集地(都道府県):沖縄県
採集地(市町村):与那国町宇良部岳
採集地(詳細):
更新日:2017/08/08



戻る