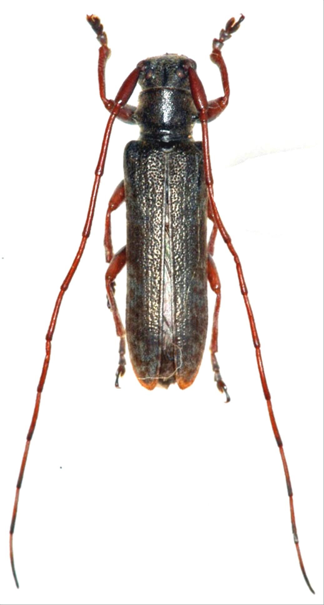
日本産カミキリムシ

シナノクロフカミキリ
カミキリムシ科
フトカミキリ亜科


Asaperda agapanthina agapanthina  Bates, 1873
Cerambycidae
Lamiinae
標本データ
性:オス
体長(mm):12
採集日:1985/07/15 〜 1985/07/19
採集地(国):日本
採集地(都道府県):群馬県
採集地(市町村):片品村戸倉大清水
採集地(詳細):
更新日:2017/08/08



戻る