日本産カミキリムシ

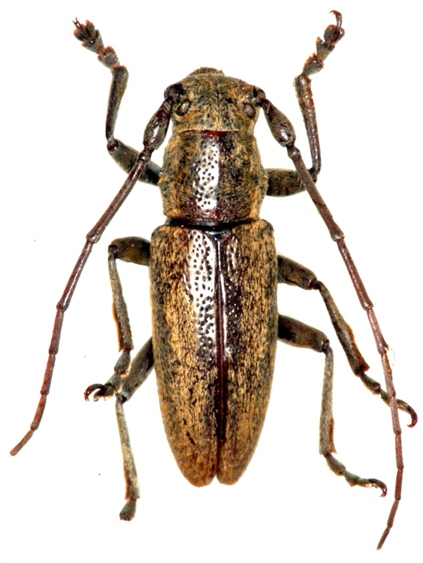
オオシマウスアヤカミキリ
カミキリムシ科
フトカミキリ亜科


Bumetopia oshimana oshimana  Breuning, 1939
Cerambycidae
Lamiinae
標本データ
性:オス
体長(mm):13
採集日:1975/06/29
採集地(国):日本
採集地(都道府県):鹿児島県
採集地(市町村):宇検村湯湾
採集地(詳細):奄美大島
更新日:2017/08/08



戻る