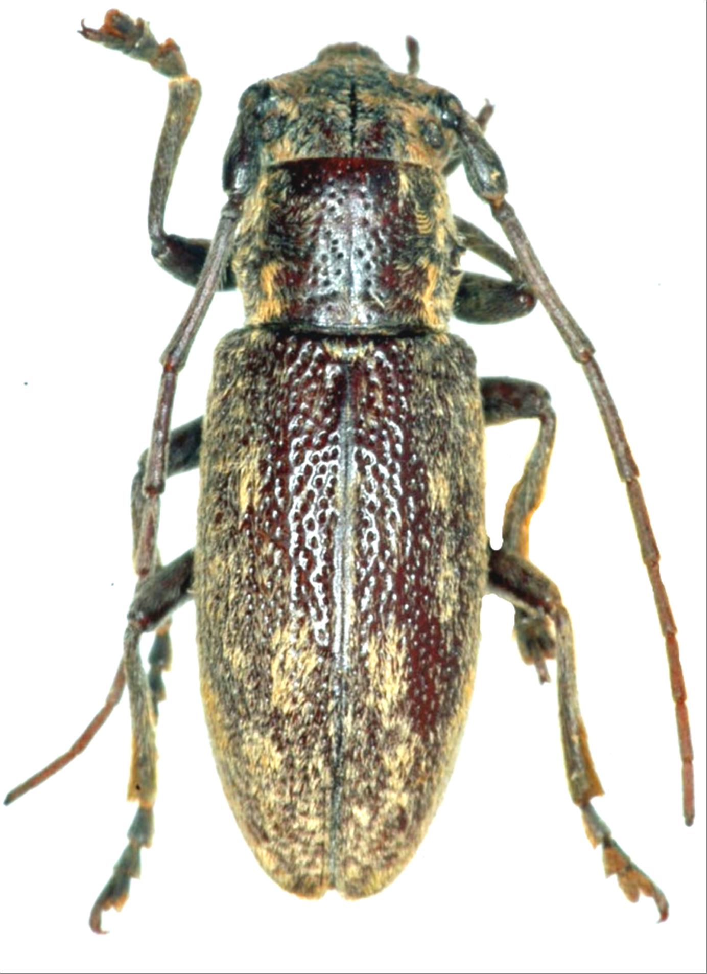
日本産カミキリムシ

サキシマウスアヤカミキリ
カミキリムシ科
フトカミキリ亜科


Bumetopia sakishimana sakishimana  Hayashi, 1966
Cerambycidae
Lamiinae
標本データ
性:メス
体長(mm):11
採集日:1974/05/25
採集地(国):日本
採集地(都道府県):沖縄県
採集地(市町村):宮古島市平良植物園
採集地(詳細):
更新日:2017/08/08



戻る