日本産カミキリムシ

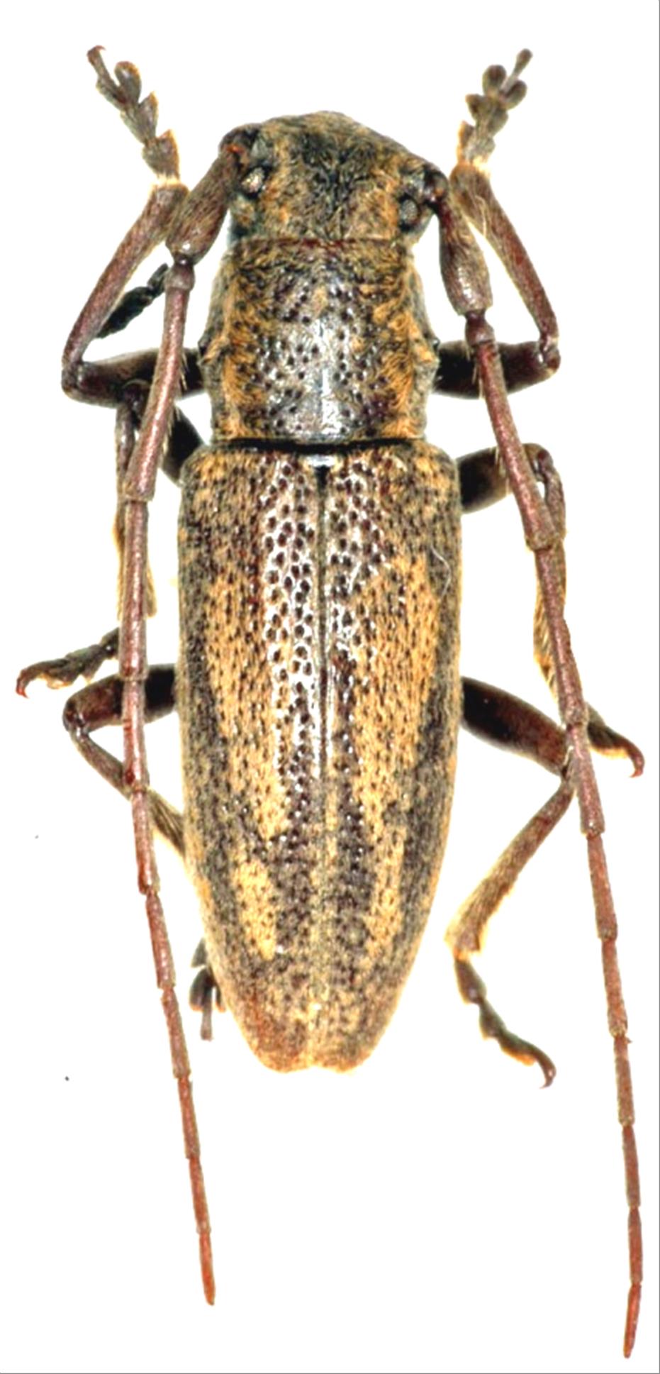
ヨナグニウスアヤカミキリ
カミキリムシ科
フトカミキリ亜科


Bumetopia sakishimana yonaguni  Hayashi, 1966
Cerambycidae
Lamiinae
標本データ
性:オス
体長(mm):12
採集日:1979/04/10 〜 1979/04/12
採集地(国):日本
採集地(都道府県):沖縄県
採集地(市町村):与那国町祖納
採集地(詳細):
更新日:2017/08/08



戻る