日本産カミキリムシ

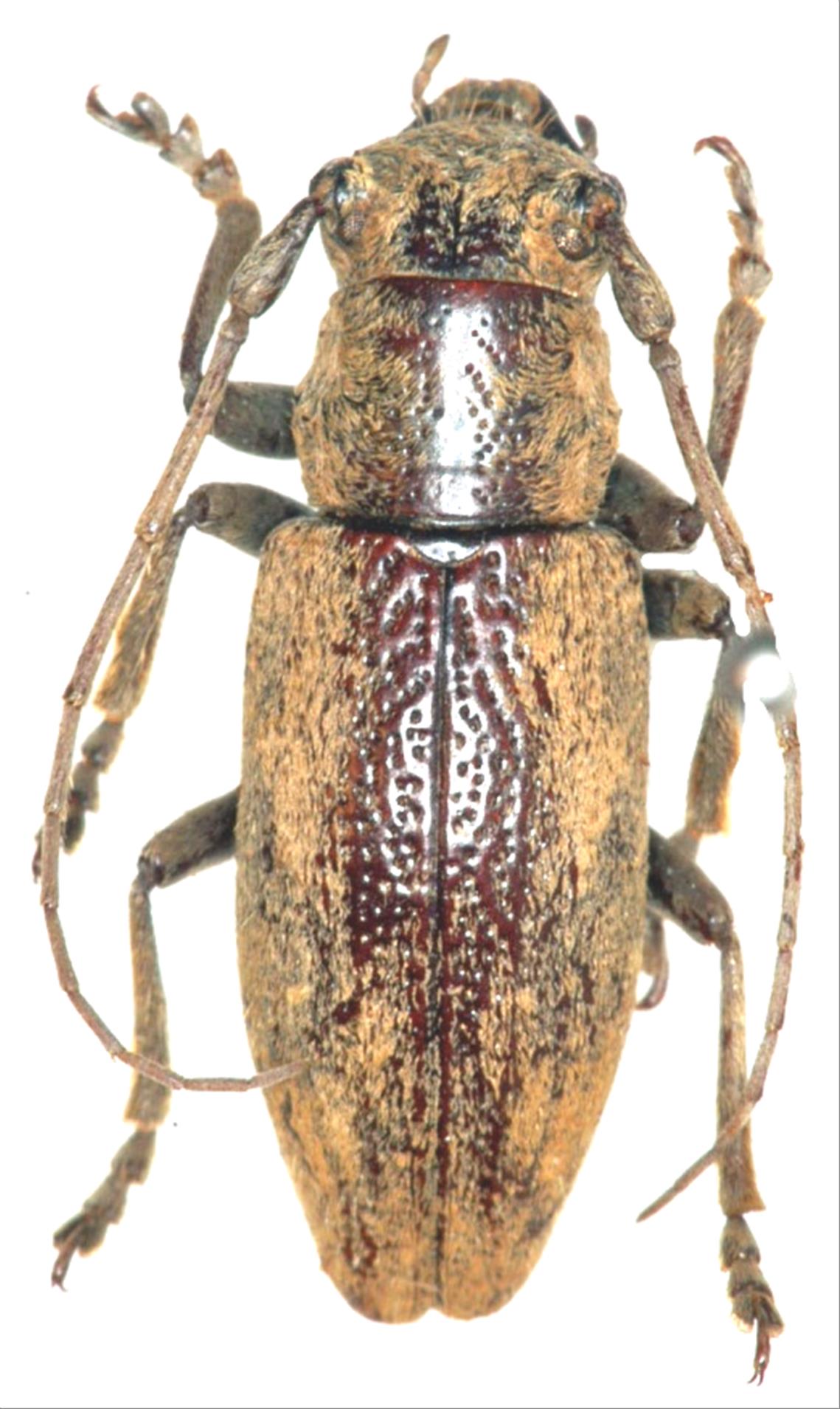
ウスアヤカミキリ
カミキリムシ科
フトカミキリ亜科


Bumetopia japonica japonica  (Thomson, 1868)
Cerambycidae
Lamiinae
標本データ
性:メス
体長(mm):15
採集日:1975/07/24
採集地(国):日本
採集地(都道府県):鹿児島県
採集地(市町村):三島村黒島里
採集地(詳細):
更新日:2017/08/08



戻る