|
|
|
|
|
|
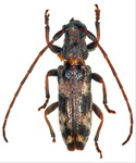
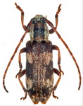
サドミヤマチビコブカミキリ Miccolamia glabricula sadosusis Hasegawa et N. Ohbayashi, 2001 オス 新潟県 |
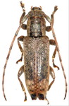
サドミヤマチビコブカミキリ Miccolamia glabricula sadosusis Hasegawa et N. Ohbayashi, 2001 メス 新潟県 |
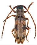
ツシマゴマフチビカミキリ Sphigmothorax tsushimanus Hayashi, 1961 オス 長崎県 |
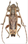
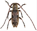
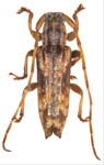
ハイイロツツクビカミキリ Gylindilla grisescens Bates, 1884 オス 福岡県 |
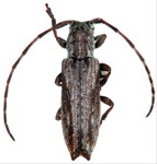
ハイイロツツクビカミキリ Gylindilla grisescens Bates, 1884 メス 大分県 |
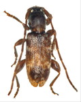
コゲチャサビカミキリ Mimectatina meridiana ohirai Breuning et Villiers, 1973 オス 沖縄県 |
|
|
|
|
|
|
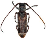
コゲチャサビカミキリ Mimectatina meridiana ohirai Breuning et Villiers, 1973 メス 沖縄県 |
ニセコゲチャサビカミキリ Mimectatina iriei Hayashi, 1984 メス 鹿児島県 |
シロオビドイカミキリ Mimectatina fuscoplagiata (Breuning, 1939) オス 群馬県 |
シロオビドイカミキリ Mimectatina fuscoplagiata (Breuning, 1939) メス 群馬県 |
エゾシロオビドイカミキリ Mimectatina longipennis Makihara, 2004 メス 北海道 |
カスリチビカミキリ Mimectatina variegata Kusama et Takakuwa, 1984 オス 三重県 |
|
|
|
|
|
|
ドイカミキリ Mimectatina divaricata divaricata (Bates, 1884) オス 福岡県 |
ドイカミキリ Mimectatina divaricata divaricata (Bates, 1884) メス 福岡県 |
イズドイカミキリ Doius divaricata similaris Takakuwa, 1984 オス 東京都 |
アマミドイカミキリ Doius divaricata fulvovariegata (Hayashi, 1963) オス 鹿児島県 |
ヤエヤマドイカミキリ Doius divaricata yayeyamana (Toyoshima, 1982) オス 沖縄県 |
ヤエヤマドイカミキリ Doius divaricata yayeyamana (Toyoshima, 1982) メス 沖縄県 |