日本産カミキリムシ

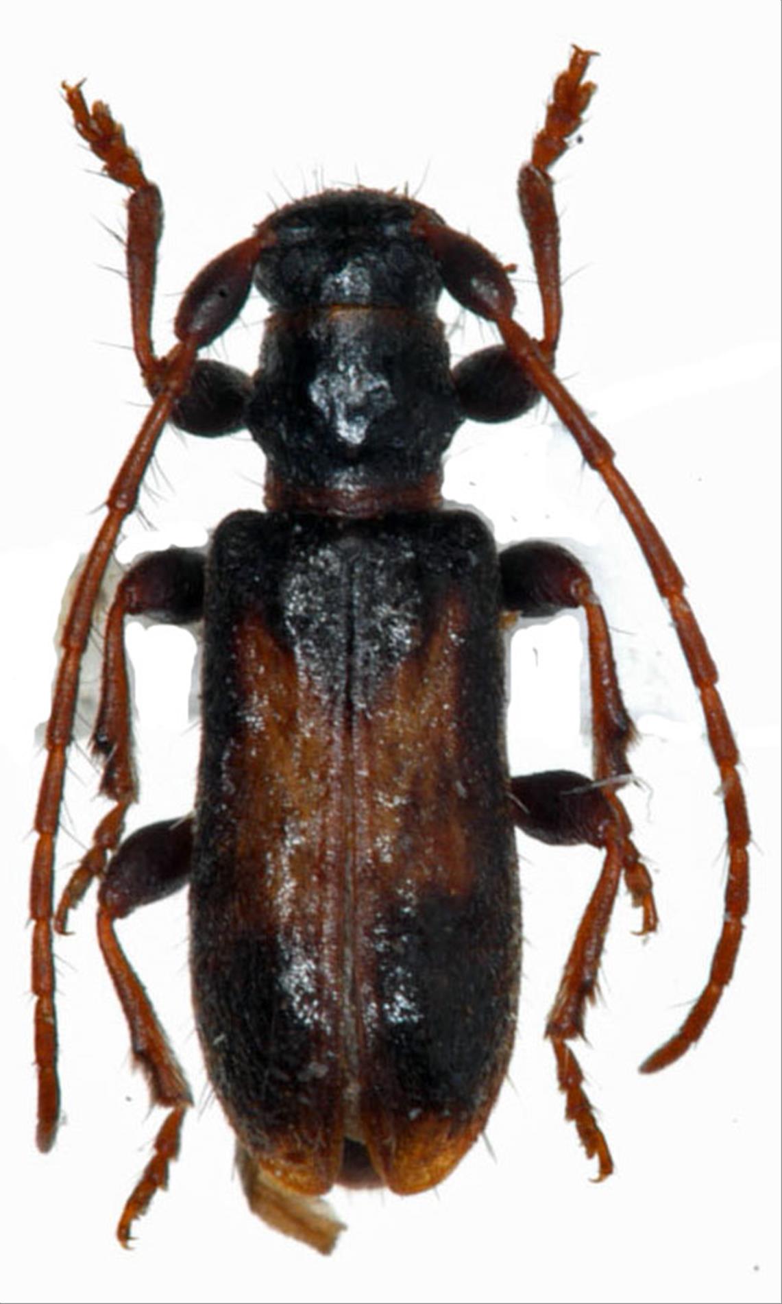
サドミヤマチビコブカミキリ
カミキリムシ科
フトカミキリ亜科


Miccolamia glabricula sadosusis  Hasegawa et N. Ohbayashi, 2001
Cerambycidae
Lamiinae
標本データ
性:オス
体長(mm):4
採集日:1997/06/24
採集地(国):日本
採集地(都道府県):新潟県
採集地(市町村):佐渡市高千青粘峠
採集地(詳細):
更新日:2017/08/08



戻る