日本産カミキリムシ

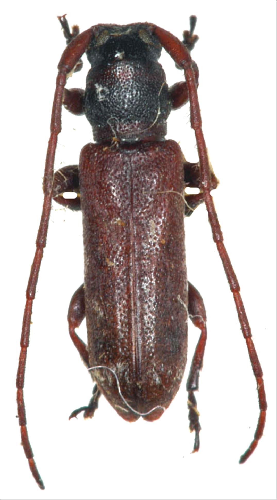
ハイイロツツクビカミキリ
カミキリムシ科
フトカミキリ亜科


Gylindilla grisescens  Bates, 1884
Cerambycidae
Lamiinae
標本データ
性:オス
体長(mm):6
採集日:1971/06
採集地(国):日本
採集地(都道府県):福岡県
採集地(市町村):添田町英彦山
採集地(詳細):
更新日:2017/08/08



戻る