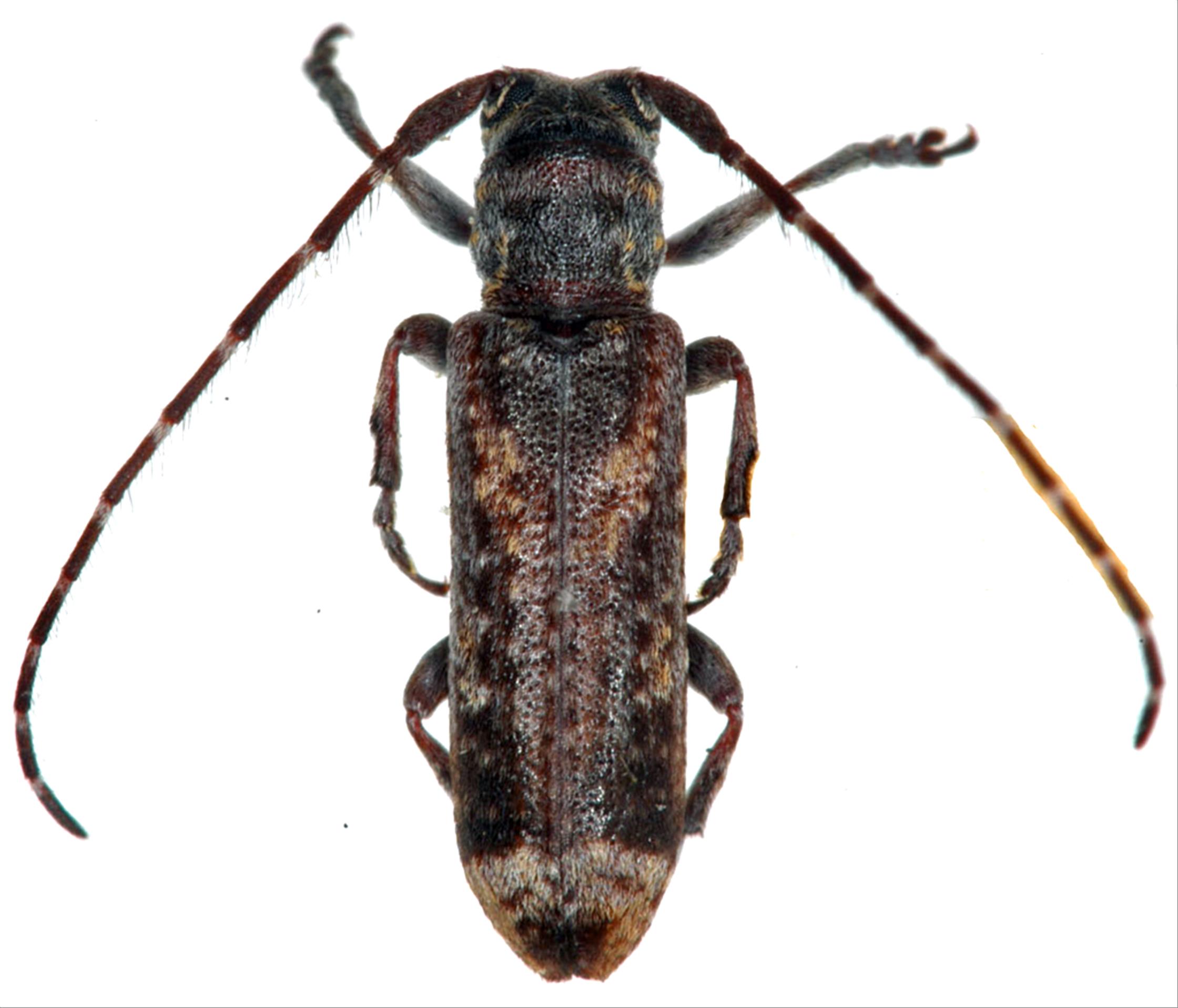
日本産カミキリムシ

ハイイロツツクビカミキリ
カミキリムシ科
フトカミキリ亜科


Gylindilla grisescens  Bates, 1884
Cerambycidae
Lamiinae
標本データ
性:メス
体長(mm):6.5
採集日:1978/11/05
採集地(国):日本
採集地(都道府県):大分県
採集地(市町村):九重町吉部
採集地(詳細):
更新日:2017/08/08



戻る