日本産カミキリムシ

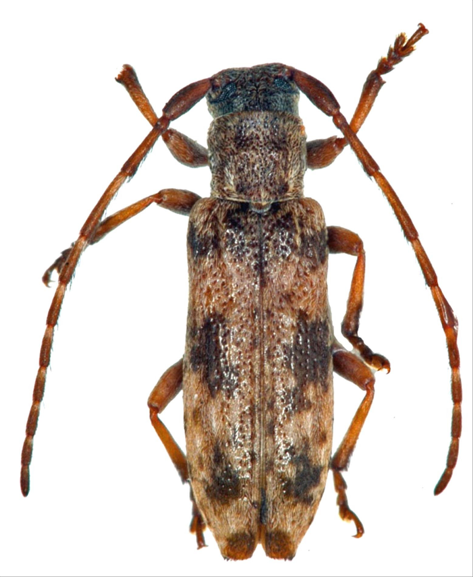
エゾシロオビドイカミキリ
カミキリムシ科
フトカミキリ亜科


Mimectatina longipennis  Makihara, 2004
Cerambycidae
Lamiinae
標本データ
性:メス
体長(mm):7
採集日:1995/08/26
採集地(国):日本
採集地(都道府県):北海道
採集地(市町村):上士幌町糠平
採集地(詳細):
更新日:2017/08/08



戻る