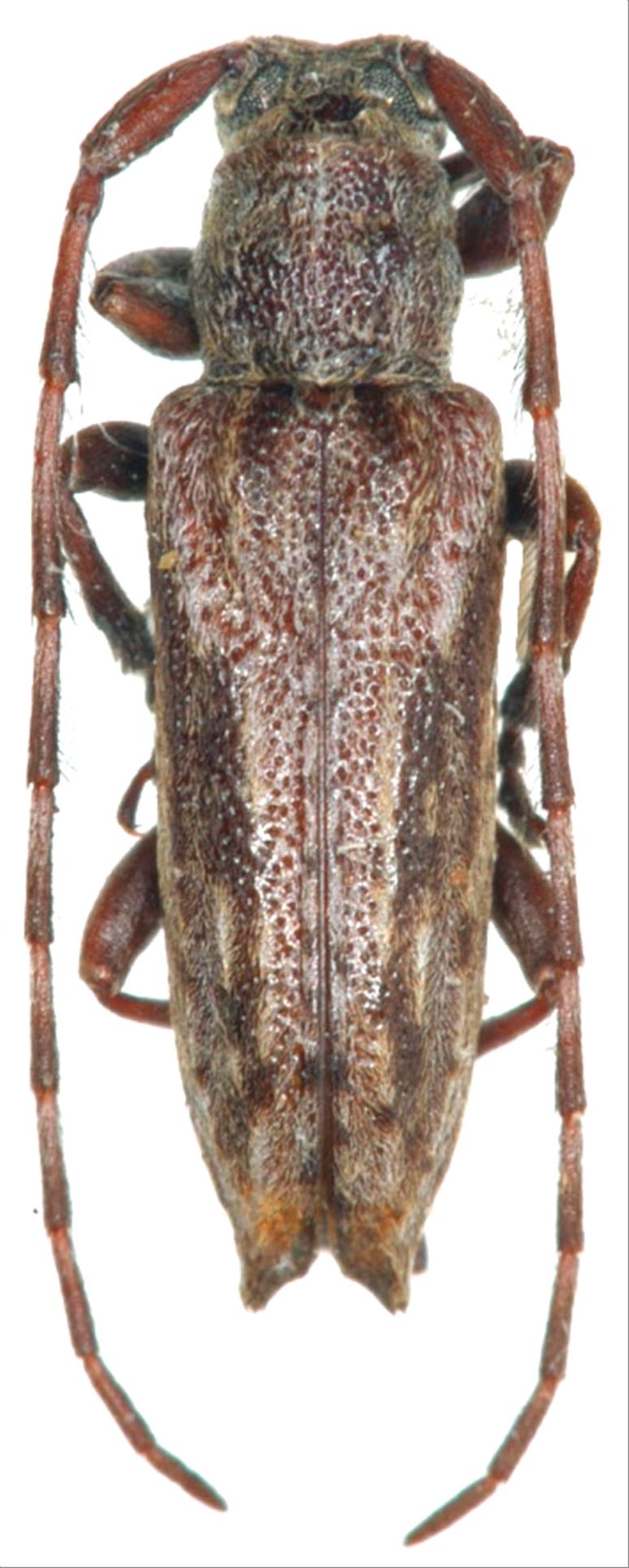
日本産カミキリムシ

ドイカミキリ
カミキリムシ科
フトカミキリ亜科


Mimectatina divaricata divaricata  (Bates, 1884)
Cerambycidae
Lamiinae
標本データ
性:オス
体長(mm):7
採集日:1969/05/10
採集地(国):日本
採集地(都道府県):福岡県
採集地(市町村):北九州市福智山
採集地(詳細):
更新日:2017/08/08



戻る