日本産カミキリムシ

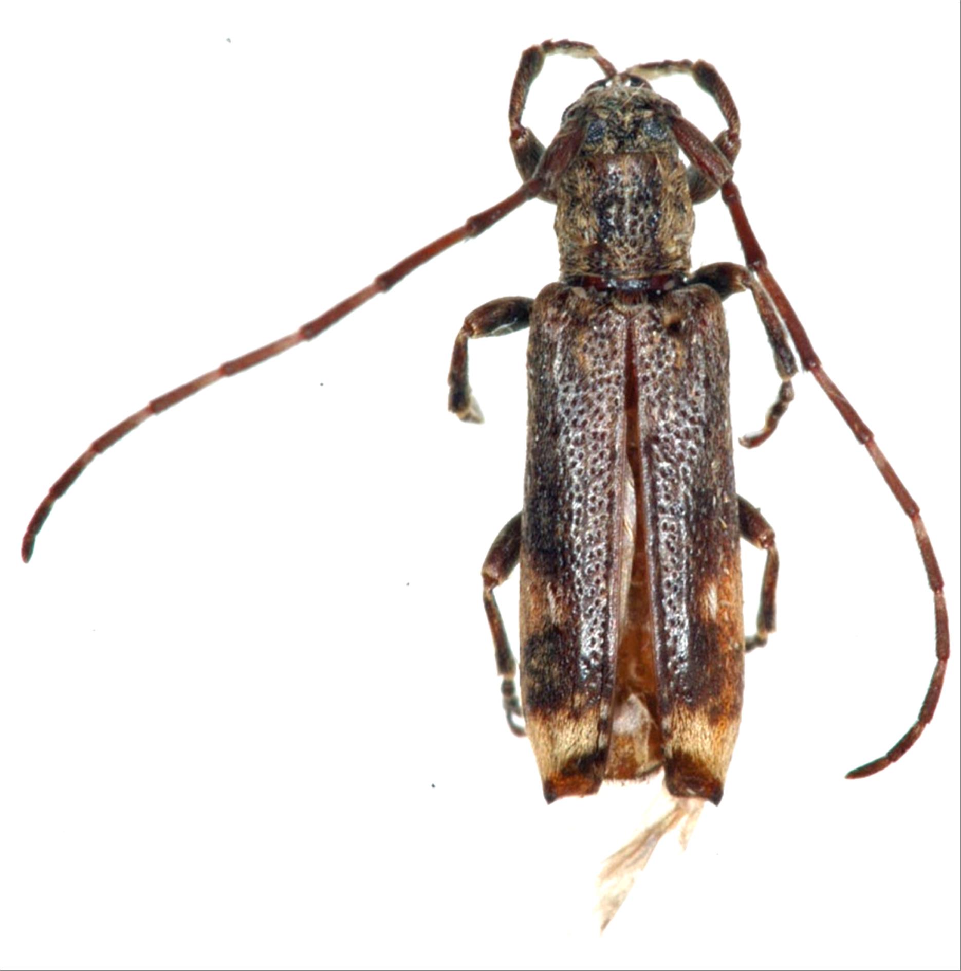
ニセコゲチャサビカミキリ
カミキリムシ科
フトカミキリ亜科


Mimectatina iriei  Hayashi, 1984
Cerambycidae
Lamiinae
標本データ
性:メス
体長(mm):6.5
採集日:2004/07/28 〜 2004/08/10
採集地(国):日本
採集地(都道府県):鹿児島県
採集地(市町村):瀬戸内町油井岳
採集地(詳細):奄美大島
更新日:2017/08/08



戻る