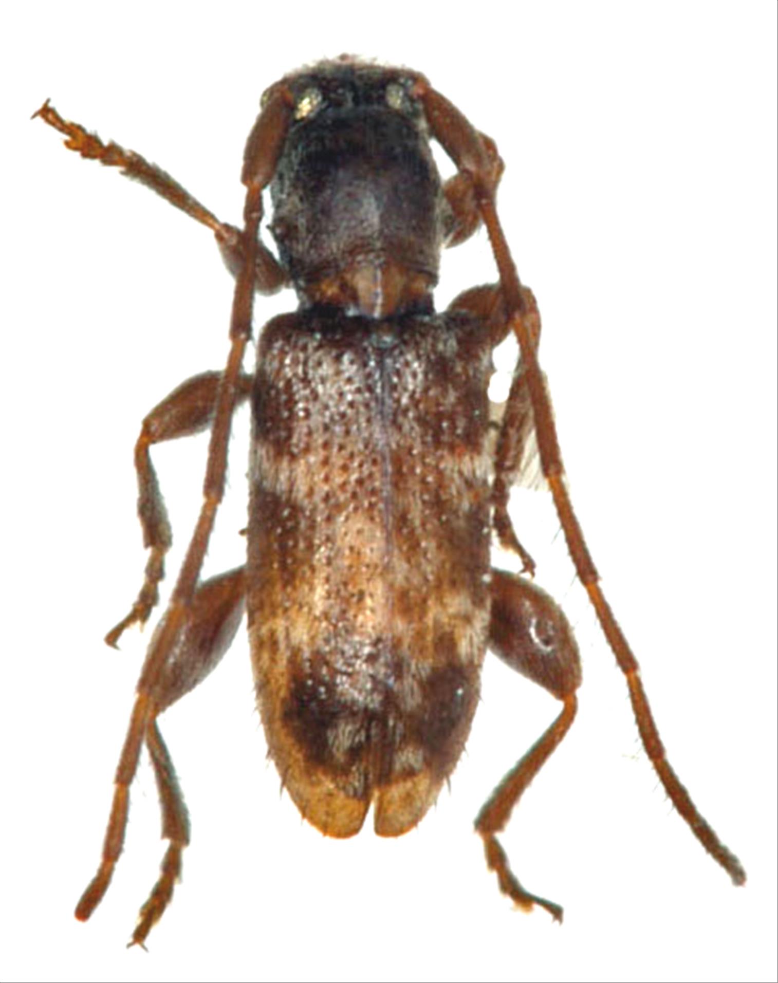
日本産カミキリムシ

ツシマゴマフチビカミキリ
カミキリムシ科
フトカミキリ亜科


Sphigmothorax tsushimanus  Hayashi, 1961
Cerambycidae
Lamiinae
標本データ
性:オス
体長(mm):3
採集日:1978/05/07
採集地(国):日本
採集地(都道府県):長崎県
採集地(市町村):対馬市峰町大星山
採集地(詳細):
更新日:2017/08/08



戻る