日本産カミキリムシ

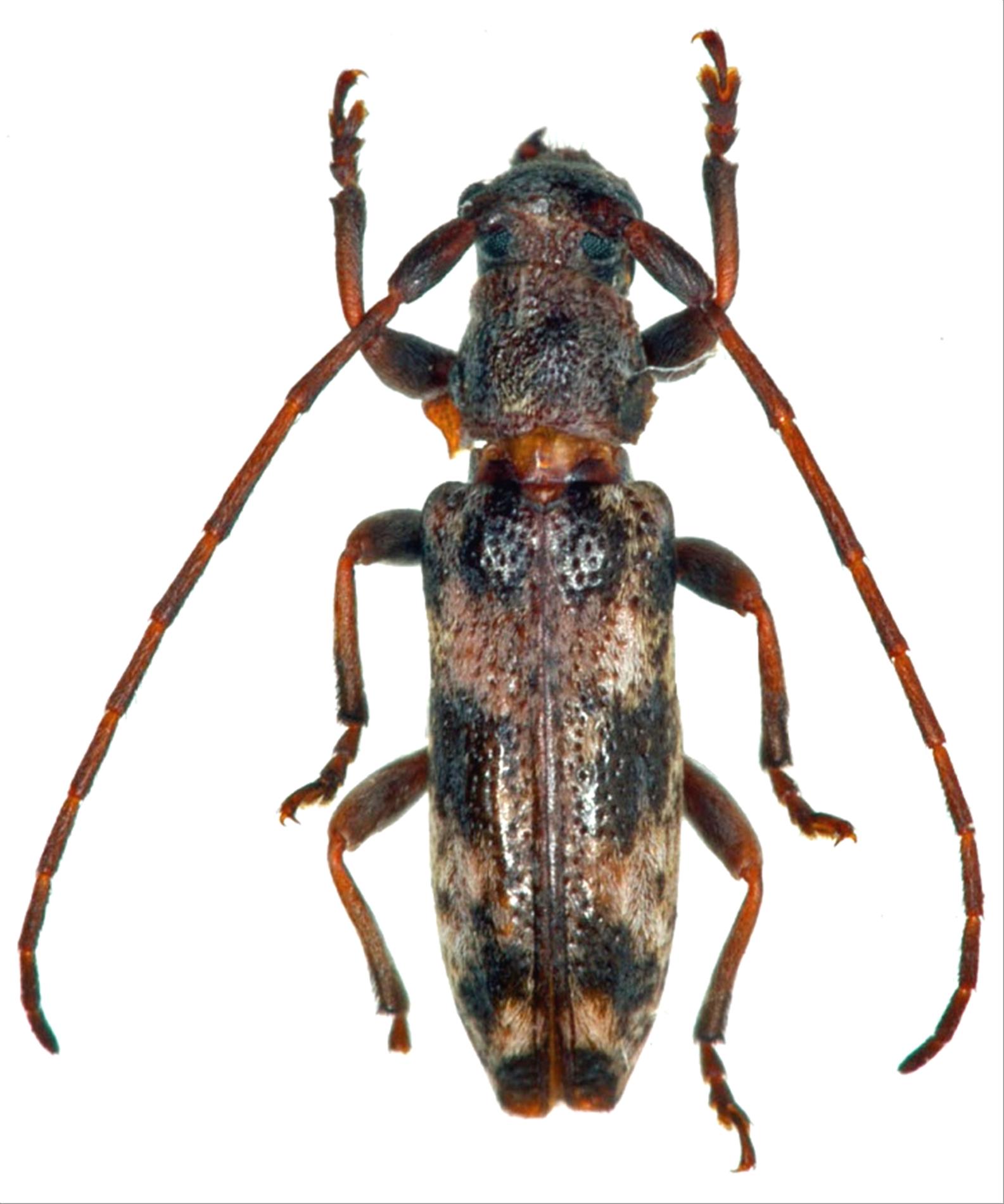
シロオビドイカミキリ
カミキリムシ科
フトカミキリ亜科


Mimectatina fuscoplagiata  (Breuning, 1939)
Cerambycidae
Lamiinae
標本データ
性:オス
体長(mm):7
採集日:1995/09/09
採集地(国):日本
採集地(都道府県):群馬県
採集地(市町村):片品村東小川菅沼
採集地(詳細):
更新日:2017/08/08



戻る