日本産カミキリムシ

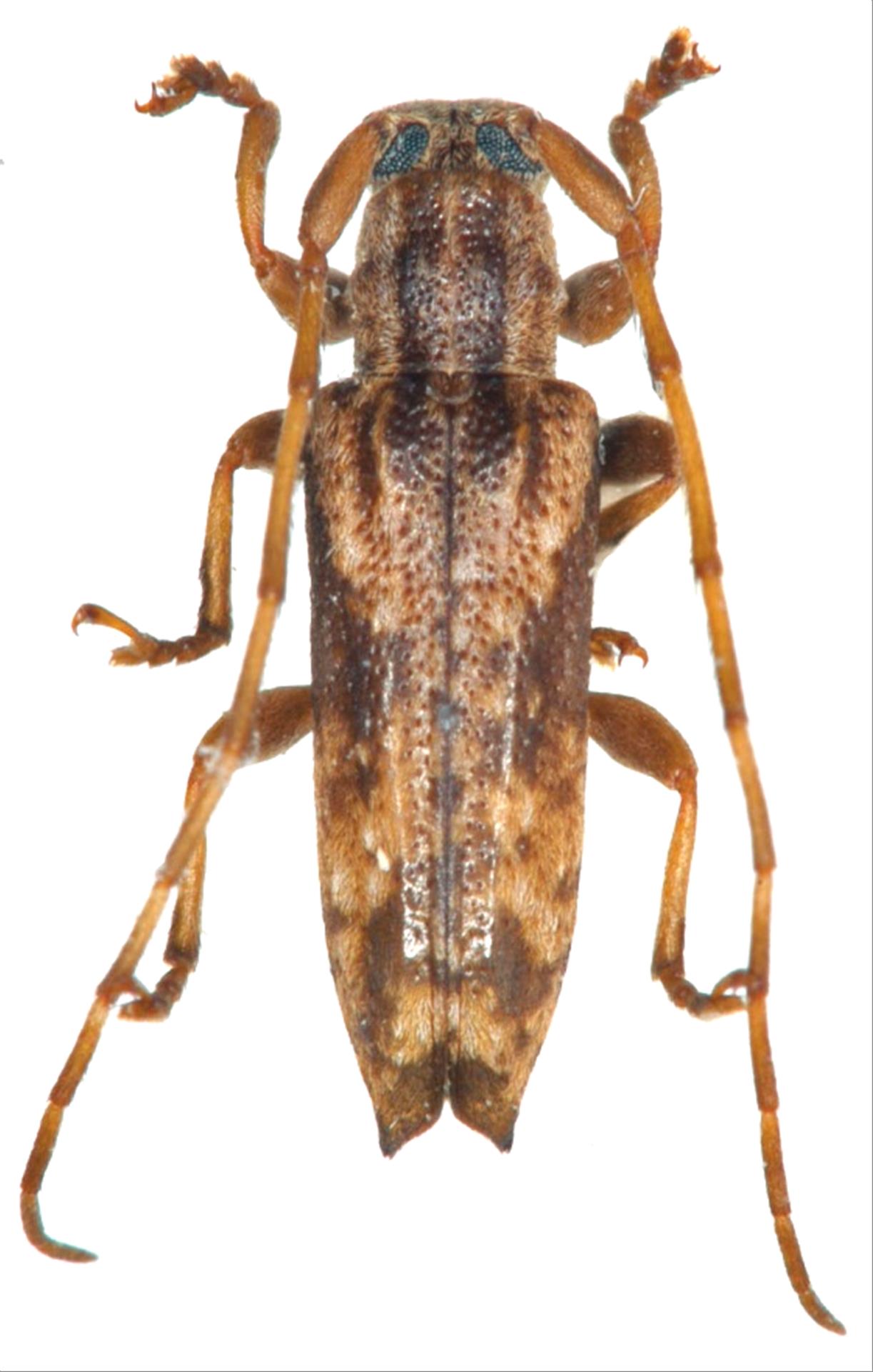
ヤエヤマドイカミキリ
カミキリムシ科
フトカミキリ亜科


Doius divaricata yayeyamana  (Toyoshima, 1982)
Cerambycidae
Lamiinae
標本データ
性:オス
体長(mm):6
採集日:1980/11/14
採集地(国):日本
採集地(都道府県):沖縄県
採集地(市町村):石垣市米原
採集地(詳細):
更新日:2017/08/08



戻る