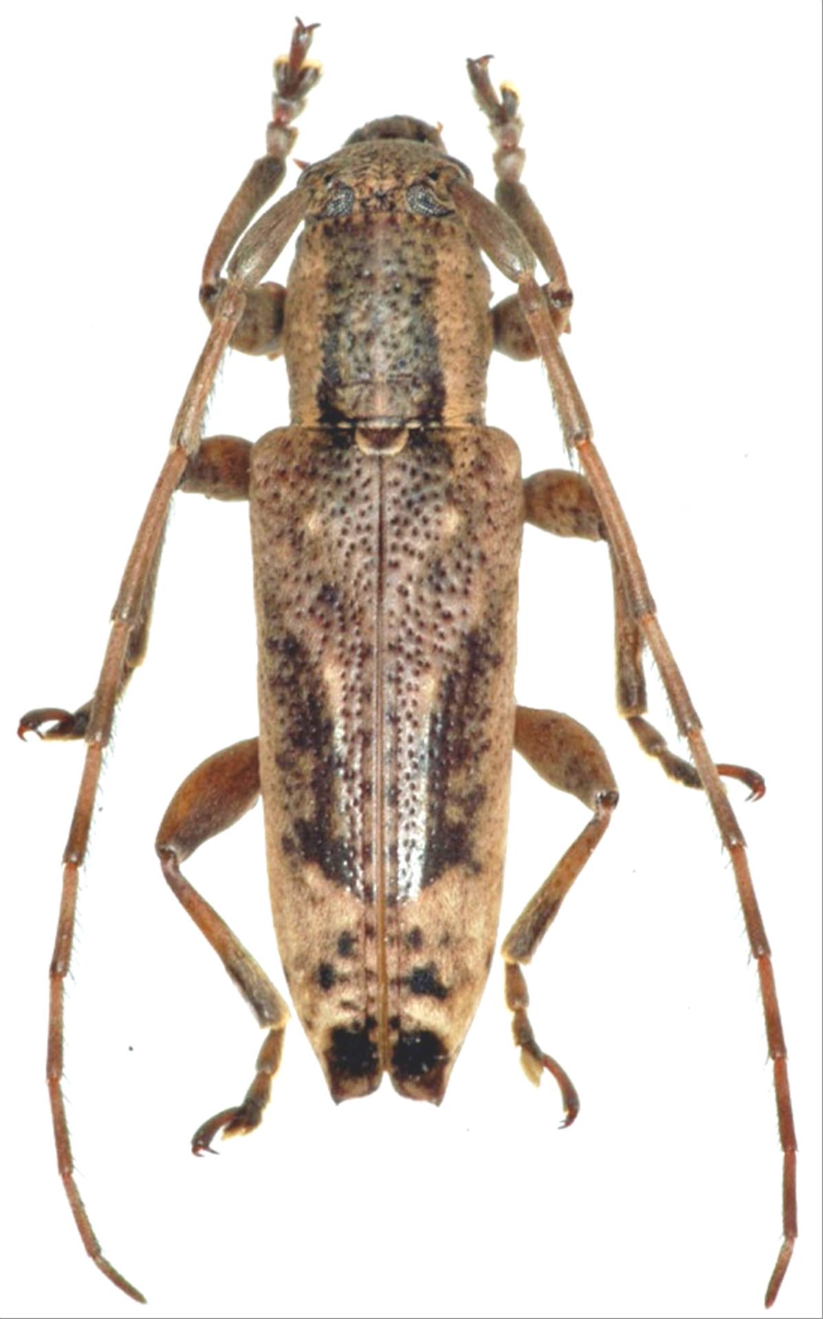
日本産カミキリムシ

コゲチャサビカミキリ
カミキリムシ科
フトカミキリ亜科


Mimectatina meridiana ohirai  Breuning et Villiers, 1973
Cerambycidae
Lamiinae
標本データ
性:オス
体長(mm):11.5
採集日:2003/03/04
採集地(国):日本
採集地(都道府県):沖縄県
採集地(市町村):石垣市桴海於茂登岳
採集地(詳細):
更新日:2017/08/08



戻る