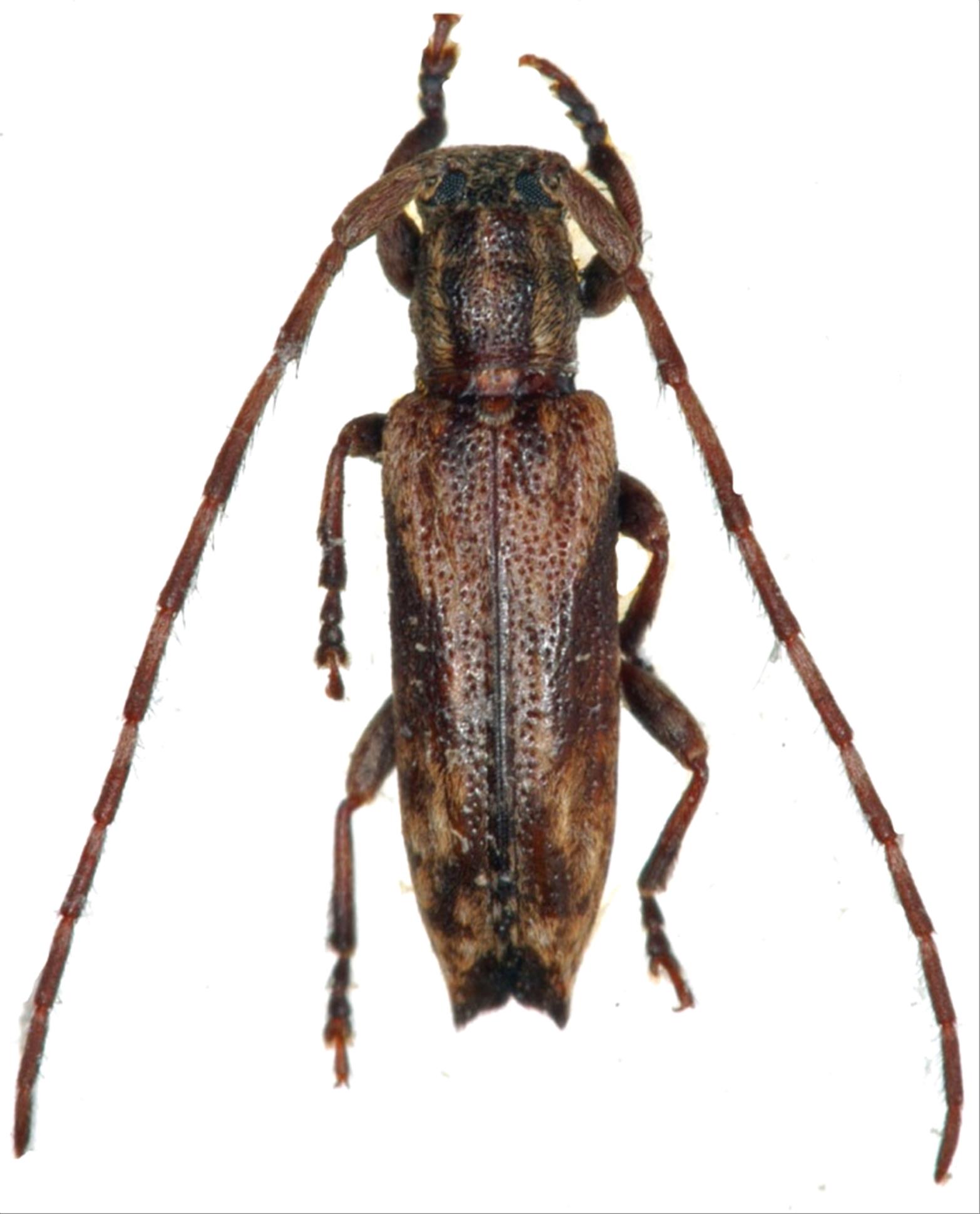
日本産カミキリムシ

アマミドイカミキリ
カミキリムシ科
フトカミキリ亜科


Doius divaricata fulvovariegata  (Hayashi, 1963)
Cerambycidae
Lamiinae
標本データ
性:オス
体長(mm):6.5
採集日:1968/03/26
採集地(国):日本
採集地(都道府県):鹿児島県
採集地(市町村):龍郷町大勝
採集地(詳細):奄美大島
更新日:2017/08/08



戻る