|
|
|
|
|
|
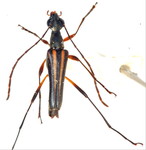
ジャコウホソハナカミキリ Mimostrangalia dulcis (Bates, 1884) オス 宮崎県 |
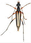
ジャコウホソハナカミキリ Mimostrangalia dulcis (Bates, 1884) オス 大分県 |
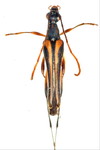
ニョホウホソハナカミキリ Parastrangalis lesnei (Pic, 1901) オス 山梨県 |
ニョホウホソハナカミキリ Parastrangalis lesnei (Pic, 1901) メス 福島県 |
ヤエヤマクロスジホソハナカミキリ Parastrangalis ishigakiensis Hayashi, 1971 オス 沖縄県 |
ヤエヤマクロスジホソハナカミキリ Parastrangalis ishigakiensis Hayashi, 1971 メス 沖縄県 |
|
|
|
|
|
|
タテジマホソハナカミキリ Parastrangalis shikokensis (Matsushita, 1935) オス 福島県 |
タテジマホソハナカミキリ Parastrangalis shikokensis (Matsushita, 1935) メス 福島県 |
ニンフホソハナカミキリ Parastrangalis nymphula (Bates, 188) オス 岩手県 |
ニンフホソハナカミキリ Parastrangalis nymphula (Bates, 188) メス 群馬県 |
ミヤマホソハナカミキリ Idostrangalia contracta (Bates, 1884) オス 長野県 |
ミヤマホソハナカミキリ Idostrangalia contracta (Bates, 1884) メス 長野県 |
|
|
|
|
|
|
ニセハコネホソハナカミキリ Idostrangalia shinomurai N. Ohbayashi et Takahashi, 1985 オス 長野県 |
ハコネホソハナカミキリ Idostrangalia hakonensis (Matsushita, 1993) メス 熊本県 |
マルオカホソハナカミキリ Idostrangalia maruokai (Hayashi, 1963) オス 鹿児島県 |
マルオカホソハナカミキリ Idostrangalia maruokai (Hayashi, 1963) メス 鹿児島県 |
ホソハナカミキリ Leptostrangalia hosohana (K.Obayashi, 1952) オス 大分県 |
ホソハナカミキリ Leptostrangalia hosohana (K.Obayashi, 1952) メス 岩手県 |