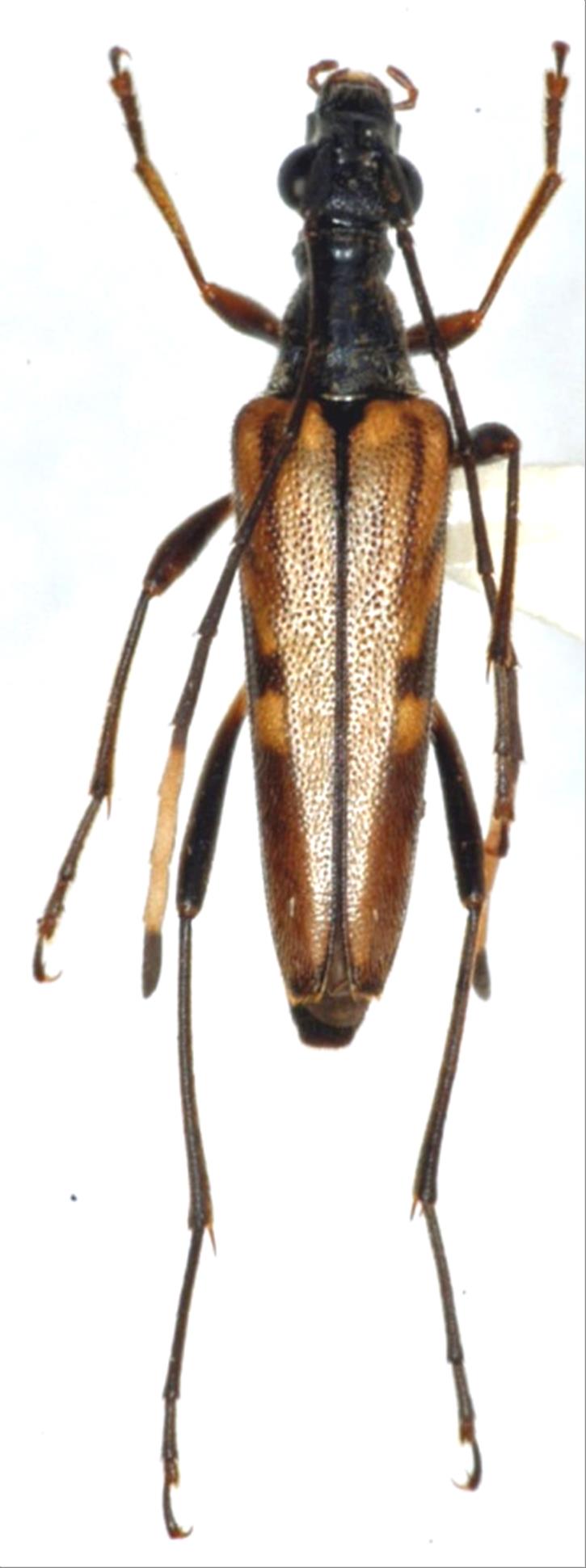
日本産カミキリムシ

ニンフホソハナカミキリ
カミキリムシ科
ハナカミキリ亜科


Parastrangalis nymphula  (Bates, 188)
Cerambycidae
Lepturinae
標本データ
性:メス
体長(mm):11
採集日:1983/07/27
採集地(国):日本
採集地(都道府県):群馬県
採集地(市町村):片品村戸倉
採集地(詳細):二股沢
更新日:2017/08/08



戻る