日本産カミキリムシ

ホソハナカミキリ
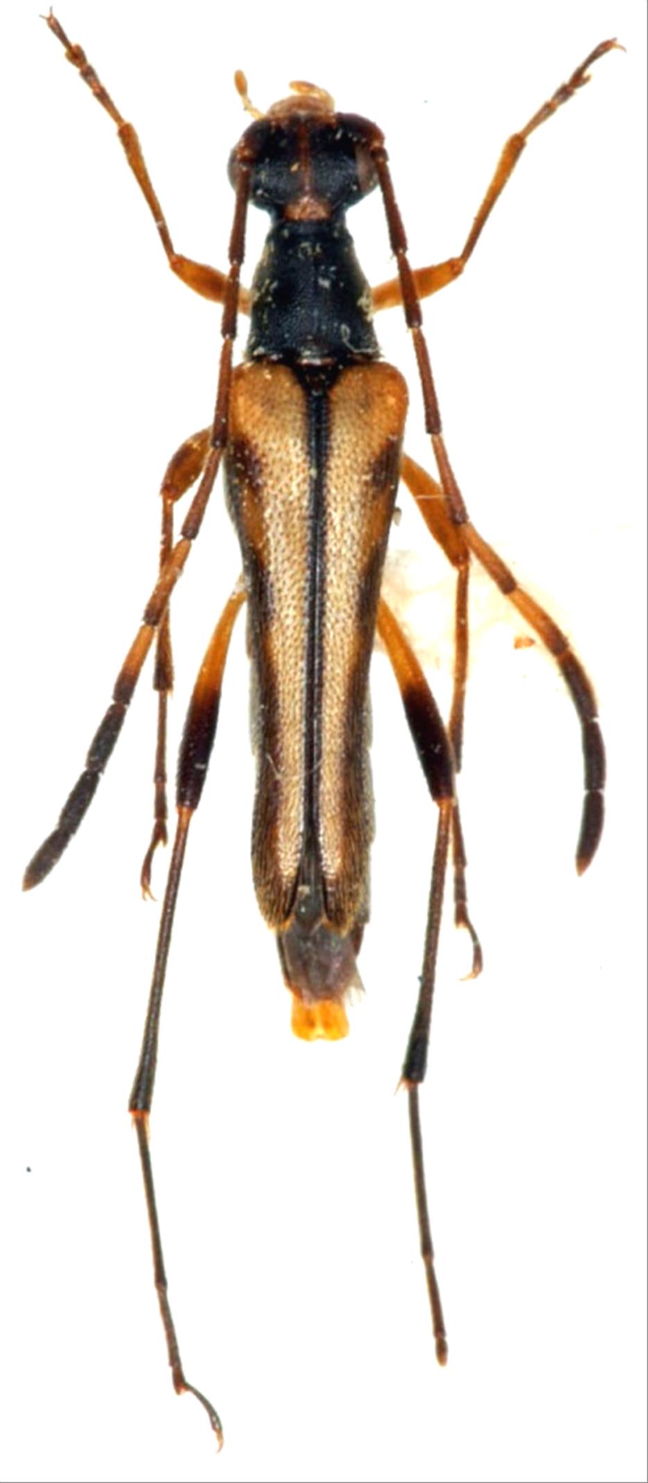
カミキリムシ科
ハナカミキリ亜科


Leptostrangalia hosohana  (K.Obayashi, 1952)
Cerambycidae
Lepturinae
標本データ
性:メス
体長(mm):8
採集日:1981/07
採集地(国):日本
採集地(都道府県):岩手県
採集地(市町村):八幡平市岩手山
採集地(詳細):
更新日:2017/08/08



戻る