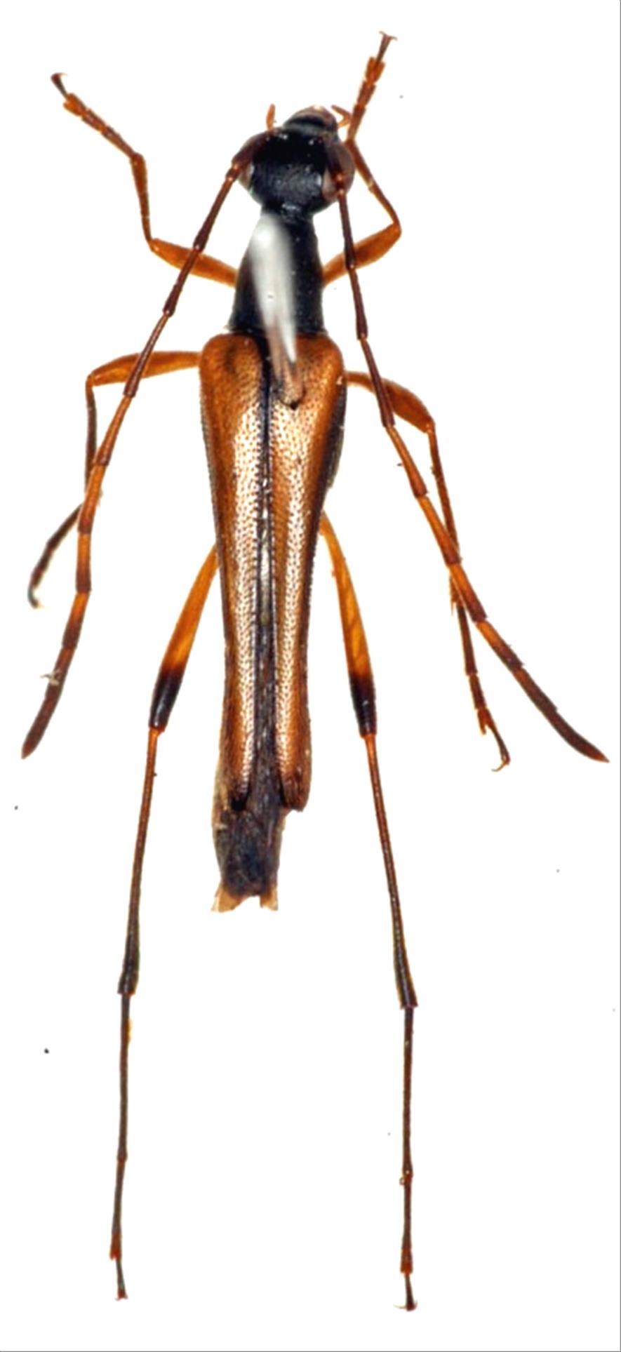
日本産カミキリムシ

ホソハナカミキリ
カミキリムシ科
ハナカミキリ亜科


Leptostrangalia hosohana  (K.Obayashi, 1952)
Cerambycidae
Lepturinae
標本データ
性:オス
体長(mm):10
採集日:1978/07/19
採集地(国):日本
採集地(都道府県):大分県
採集地(市町村):久住町大船山
採集地(詳細):
更新日:2017/08/08



戻る