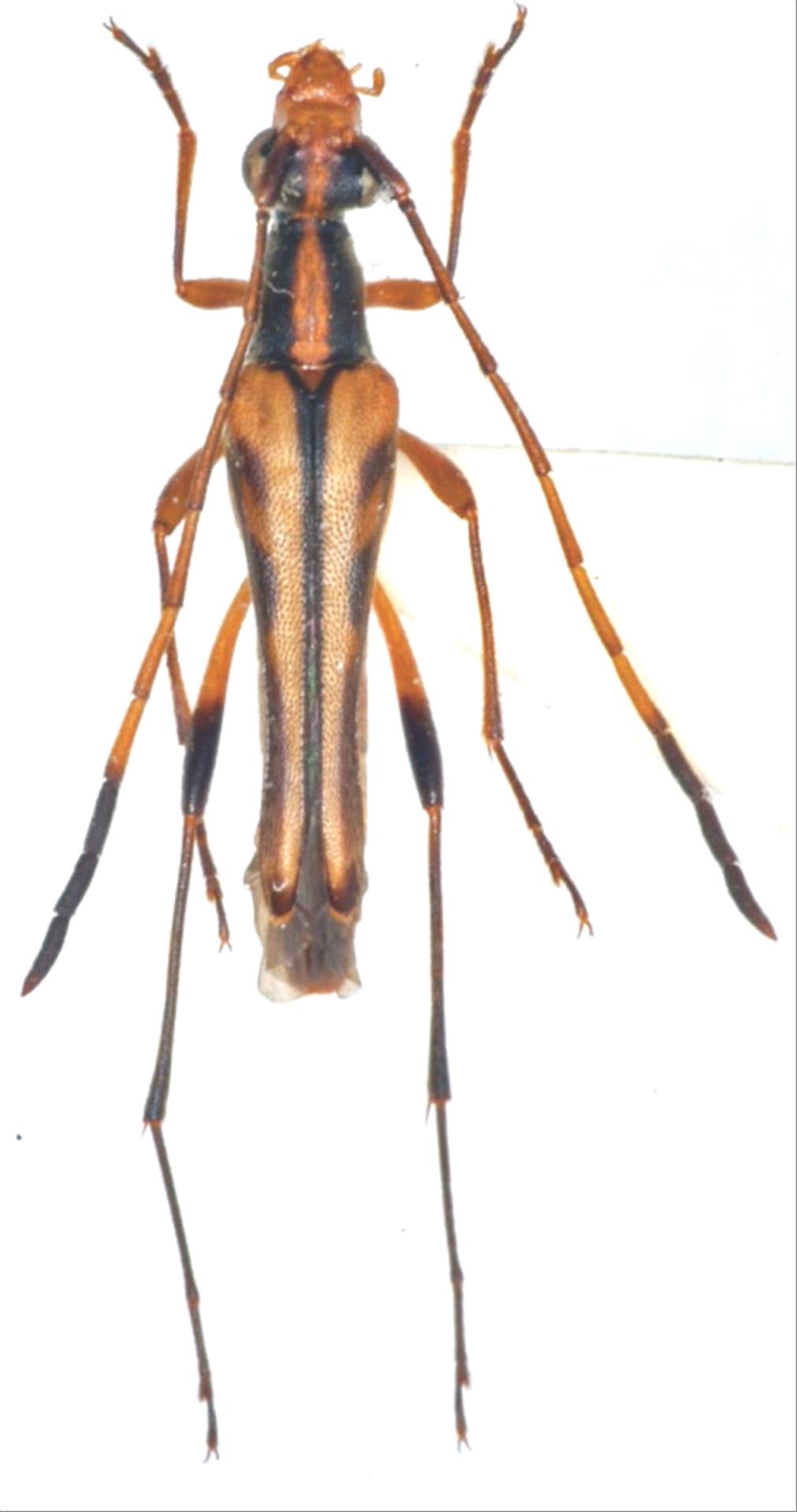
日本産カミキリムシ

ミヤマホソハナカミキリ
カミキリムシ科
ハナカミキリ亜科


Idostrangalia contracta  (Bates, 1884)
Cerambycidae
Lepturinae
標本データ
性:オス
体長(mm):10
採集日:1979/07/26
採集地(国):日本
採集地(都道府県):長野県
採集地(市町村):上松町木曽駒ヶ岳
採集地(詳細):
更新日:2017/08/08



戻る