日本産カミキリムシ

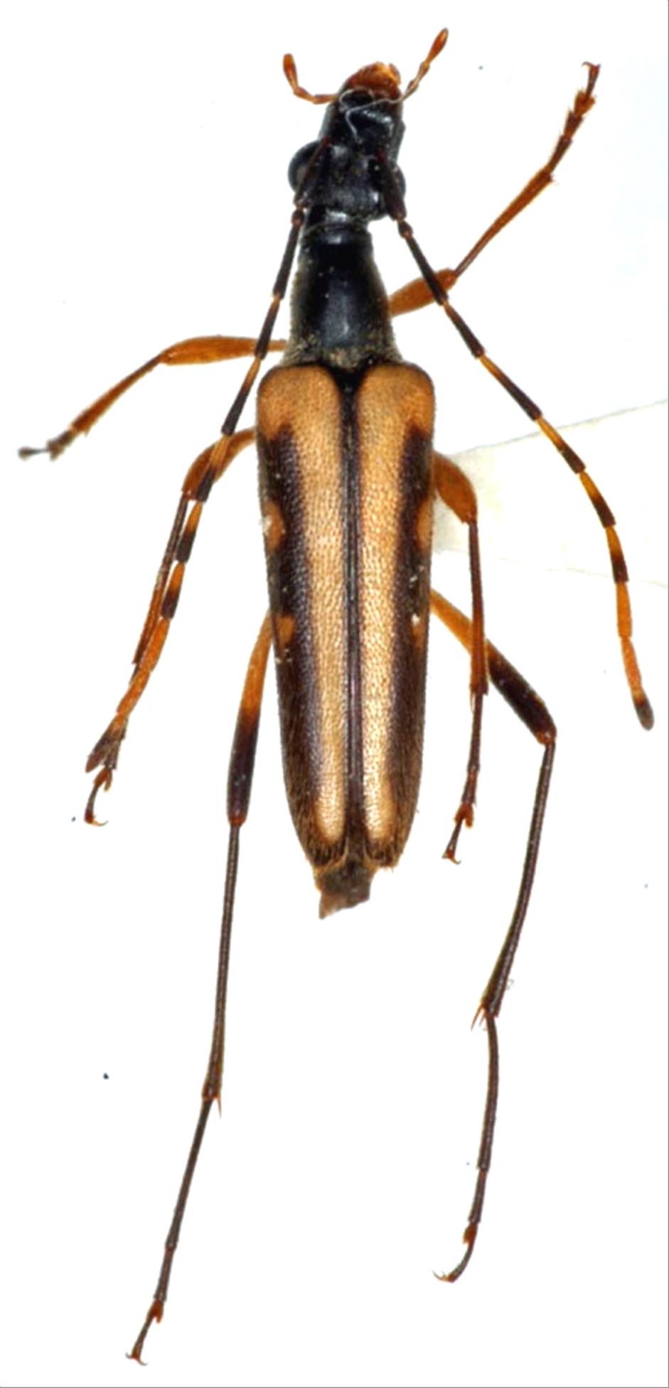
ニョホウホソハナカミキリ
カミキリムシ科
ハナカミキリ亜科


Parastrangalis lesnei  (Pic, 1901)
Cerambycidae
Lepturinae
標本データ
性:メス
体長(mm):10
採集日:1981/07/25 〜 1981/07/26
採集地(国):日本
採集地(都道府県):福島県
採集地(市町村):檜枝岐村
採集地(詳細):
更新日:2017/08/08



戻る