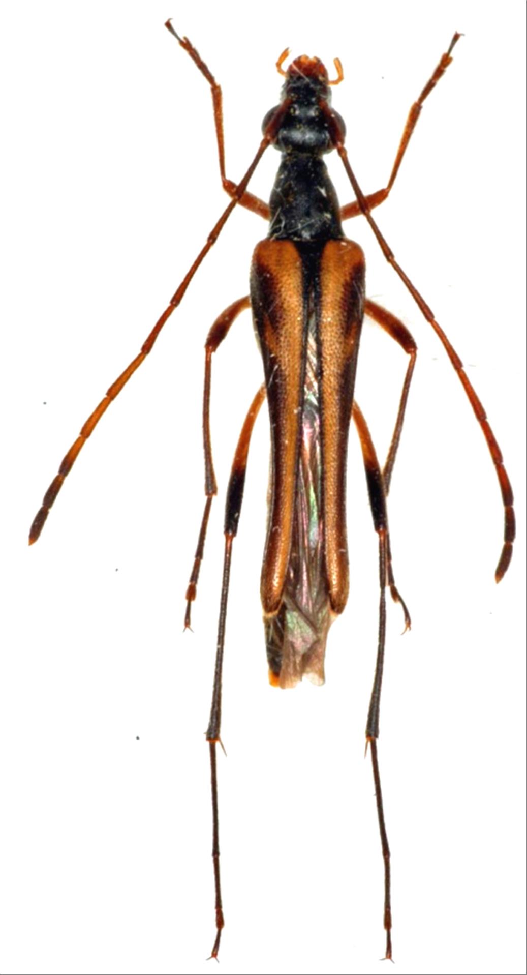
日本産カミキリムシ

ニセハコネホソハナカミキリ
カミキリムシ科
ハナカミキリ亜科


Idostrangalia shinomurai  N. Ohbayashi et Takahashi, 1985
Cerambycidae
Lepturinae
標本データ
性:オス
体長(mm):12
採集日:1980/07/20
採集地(国):日本
採集地(都道府県):長野県
採集地(市町村):大滝村濁川
採集地(詳細):
更新日:2017/08/08



戻る