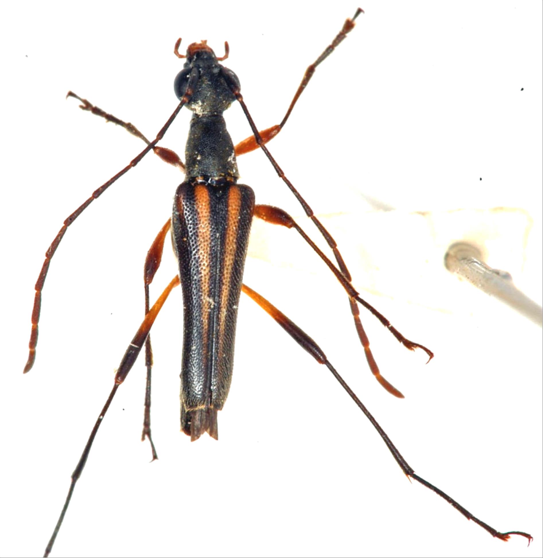
日本産カミキリムシ

ヤエヤマクロスジホソハナカミキリ
カミキリムシ科
ハナカミキリ亜科


Parastrangalis ishigakiensis  Hayashi, 1971
Cerambycidae
Lepturinae
標本データ
性:オス
体長(mm):7
採集日:1979/04/07 〜 1979/04/09
採集地(国):日本
採集地(都道府県):沖縄県
採集地(市町村):石垣市於茂登岳
採集地(詳細):
更新日:2017/08/08



戻る