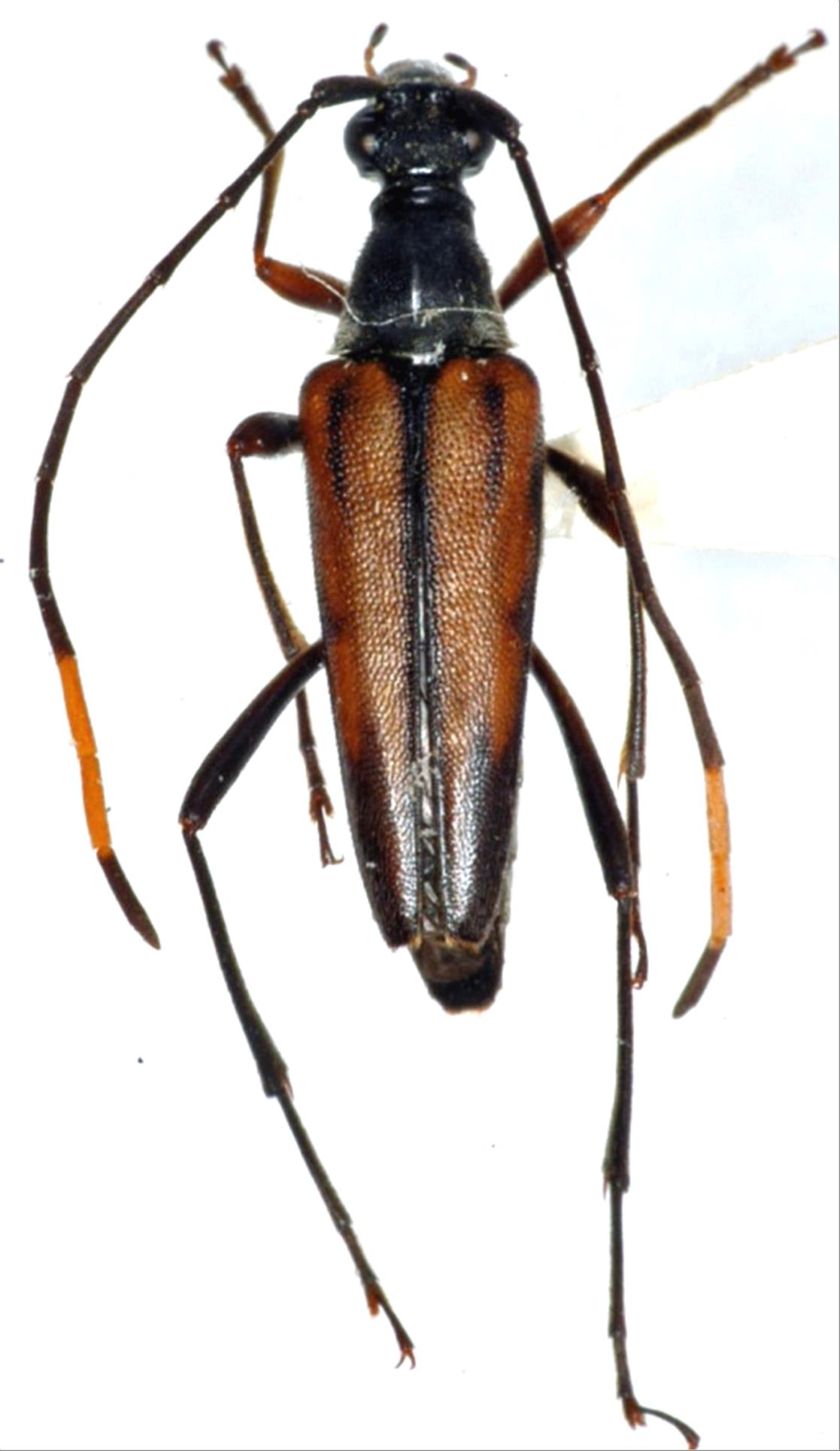
日本産カミキリムシ

タテジマホソハナカミキリ
カミキリムシ科
ハナカミキリ亜科


Parastrangalis shikokensis  (Matsushita, 1935)
Cerambycidae
Lepturinae
標本データ
性:メス
体長(mm):12
採集日:1983/07/30
採集地(国):日本
採集地(都道府県):福島県
採集地(市町村):檜枝岐村小沢平
採集地(詳細):
更新日:2017/08/08



戻る