日本産カミキリムシ

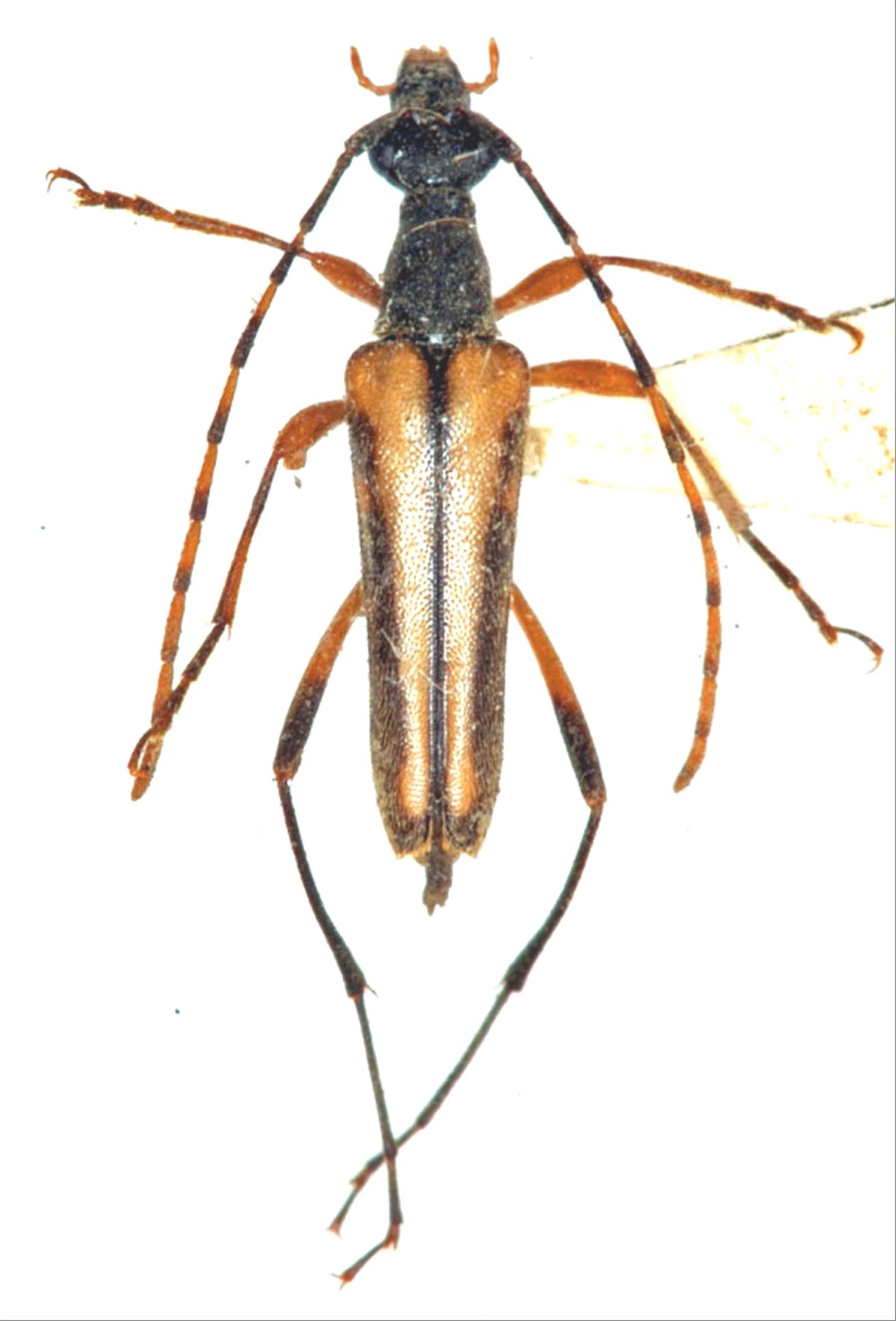
ニョホウホソハナカミキリ
カミキリムシ科
ハナカミキリ亜科


Parastrangalis lesnei  (Pic, 1901)
Cerambycidae
Lepturinae
標本データ
性:オス
体長(mm):9
採集日:1969/07/27
採集地(国):日本
採集地(都道府県):山梨県
採集地(市町村):甲州市塩山大菩薩
採集地(詳細):
更新日:2017/08/08



戻る